Se Connecter/S’inscrire
Votre courriel a été envoyé.
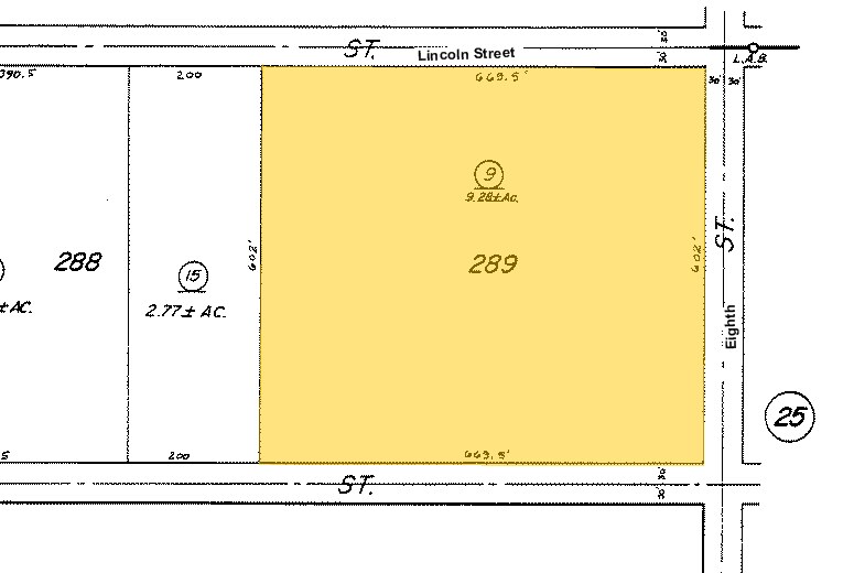
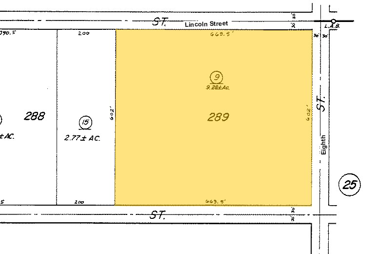
NWC Lincoln & 8th St
Banning, CA 92220
Terrain À vendre
·
7,10 AC

Certaines informations ont été traduites automatiquement.
Faits saillants de l'investissement
- ±7.1 acres of vacant commercial land
- Excellent visibility from the I-10 Freeway
- General Commercial zoning (buyer to verify)
- Located at the northwest corner of W. Lincoln St. & S. 8th St., Banning, CA
- Direct access from the S. 8th Street off-ramp
- Identified as an excellent travel center / truck stop opportunity (subject to city verification)
Résumé de l'annonce
The property consists of approximately ±7.1 acres of land located at the northwest corner of W. Lincoln Street and S. 8th Street in Banning, California (92220). The site is offered for sale and features excellent visibility from the I-10 Freeway, along with convenient access via the 8th Street off-ramp. The parcel is generally zoned commercial (buyer to verify) and is identified as a strong candidate for travel center or truck stop development, subject to city approvals. Its prominent freeway-adjacent location and accessibility position the site well for high-traffic, service-oriented commercial uses.
Faits sur la propriété
| Type de vente | Investissement | Utilisation proposée | Industriel |
| Nombre de lots | 1 | Taille totale du lot | 7,10 AC |
| Type de propriété | Terrain | Location | Unique |
| Sous-type de propriété | Terrain industriel | ||
| Zonage | M, Banning | ||
| Type de vente | Investissement |
| Nombre de lots | 1 |
| Type de propriété | Terrain |
| Sous-type de propriété | Terrain industriel |
| Utilisation proposée | Industriel |
| Taille totale du lot | 7,10 AC |
| Location | Unique |
| Zonage | M, Banning |
1 Lot disponible
Lot
| Taille du lot | 7,10 AC |
| Taille du lot | 7,10 AC |
Impôts fonciers
| Numéro de lot | 540-230-009 | Évaluation des bâtiments | 0 $ CAD |
| Évaluation du terrain | 4 110 000 $ CAD | Évaluation totale | 4 110 000 $ CAD |
Impôts fonciers
Numéro de lot
540-230-009
Évaluation du terrain
4 110 000 $ CAD
Évaluation des bâtiments
0 $ CAD
Évaluation totale
4 110 000 $ CAD
1 de 2
Vidéos
Visite extérieure 3D Matterport
Visite 3D Matterport
Photos
Vue depuis la rue
Rue
Carte
