Se Connecter/S’inscrire
Votre courriel a été envoyé.
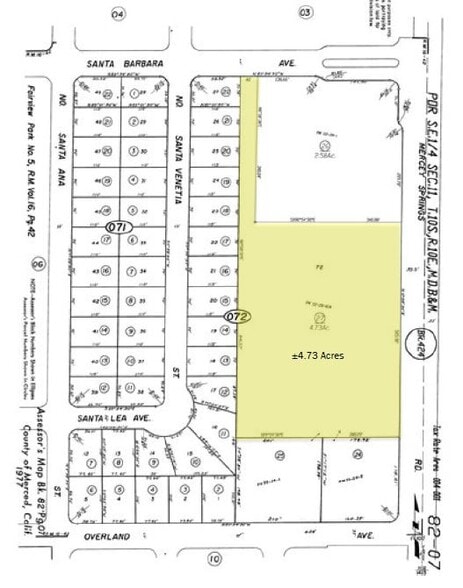
NWC Mercey-Springs Rd & Overland Rd Lot • Terrain commercial • 4,73 Acres • 2 300 476 $ CAD • Los Banos, CA 93635



Certaines informations ont été traduites automatiquement.
FAITS SAILLANTS DE L'INVESTISSEMENT
- Zonage commercial routier
- Zone de commerce de détail mal desservie
- Près d'une zone de croissance résidentielle
RÉSUMÉ DE L'ANNONCE
4.73 acres available.
FAITS SUR LA PROPRIÉTÉ
| Prix | 2 300 476 $ CAD | Sous-type de propriété | Terrain commercial |
| Type de vente | Investissement | Utilisation proposée | Commercial |
| Nombre de lots | 1 | Taille totale du lot | 4,73 AC |
| Type de propriété | Terrain | ||
| Zonage | H-C - Autoroute commerciale | ||
| Prix | 2 300 476 $ CAD |
| Type de vente | Investissement |
| Nombre de lots | 1 |
| Type de propriété | Terrain |
| Sous-type de propriété | Terrain commercial |
| Utilisation proposée | Commercial |
| Taille totale du lot | 4,73 AC |
| Zonage | H-C - Autoroute commerciale |
1 LOT DISPONIBLE
Lot
| Prix | 2 300 476 $ CAD | Taille du lot | 4,73 AC |
| Prix par AC | 486 358,61 $ CAD |
| Prix | 2 300 476 $ CAD |
| Prix par AC | 486 358,61 $ CAD |
| Taille du lot | 4,73 AC |
4.73 acres
DESCRIPTION
Environ 4,73 acres sont disponibles à la vente à Los Banos, en Californie, juste au sud de Dollar General, dans le comté de Merced. La propriété en question est située à l'angle nord-ouest du chemin Mercey Springs. (route 165) et Overland Rd. et est zoné route commerciale H-C).
1 1
Impôts fonciers
| Numéro de lot | 082-072-027 | Évaluation des bâtiments | 0 $ CAD |
| Évaluation du terrain | 2 850 972 $ CAD | Évaluation totale | 2 850 972 $ CAD |
Impôts fonciers
Numéro de lot
082-072-027
Évaluation du terrain
2 850 972 $ CAD
Évaluation des bâtiments
0 $ CAD
Évaluation totale
2 850 972 $ CAD
1 de 4
VIDÉOS
VISITE EXTÉRIEURE 3D MATTERPORT
VISITE 3D MATTERPORT
PHOTOS
VUE DEPUIS LA RUE
RUE
CARTE
1 de 1
Présenté par
NWC Mercey-Springs Rd & Overland Rd
Vous êtes déjà membre? Connectez-vous
Hmm, il semble y avoir eu une erreur lors de l’envoi de votre message. Veuillez réessayer.
Merci! Votre message a été envoyé.
