Se Connecter/S’inscrire
Votre courriel a été envoyé.
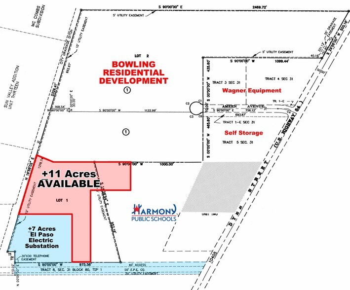
NWQ Dyer And Grouse
El Paso, TX 79924
Terrain À vendre
·
11,00 AC


Certaines informations ont été traduites automatiquement.
Faits saillants de l'investissement
- Rue Dyer du NW Quadrant et chemin Grouse El Paso, Texas
Résumé de l'annonce
La majeure partie de la façade le long de la rue Dyer est zonée C-4 (commerciale). La propriété arrière est zonée P-R-1 (résidence planifiée) et A-M (Apart-Mobile Home)
Faits sur la propriété
| Type de vente | Investissement | Sous-type de propriété | Terrain commercial |
| Nombre de lots | 1 | Utilisation proposée | |
| Type de propriété | Terrain | Taille totale du lot | 11,00 AC |
| Zonage | C-4 - Commercial régional | ||
| Type de vente | Investissement |
| Nombre de lots | 1 |
| Type de propriété | Terrain |
| Sous-type de propriété | Terrain commercial |
| Utilisation proposée | |
| Taille totale du lot | 11,00 AC |
| Zonage | C-4 - Commercial régional |
1 Lot disponible
Lot
| Prix | 3 875 592 $ CAD | Taille du lot | 11,00 AC |
| Prix par AC | 352 326,55 $ CAD |
| Prix | 3 875 592 $ CAD |
| Prix par AC | 352 326,55 $ CAD |
| Taille du lot | 11,00 AC |
1 de 3
Vidéos
Visite extérieure 3D Matterport
Visite 3D Matterport
Photos
Vue depuis la rue
Rue
Carte
