Votre courriel a été envoyé.
North 4th St. Extension - North 4th St. Extension Lot • Terrain commercial • 5,21 Acres • 3 560 688 $ CAD • Longview, TX 75605

Certaines informations ont été traduites automatiquement.
Faits saillants de l'investissement
- Brookshire's Grocery a récemment acheté une parcelle sur ce vaste terrain de développement.
- La croissance de la population dans un rayon de 3 milles devrait être de +1,74 % entre 2024 et 2029.
- Le site borde le parc Hinsley, qui est un parc urbain boisé offrant de nombreuses possibilités de loisirs et de loisirs.
Résumé de l'annonce
Faits sur la propriété
1 Lot disponible
Lot
| Prix | 3 560 688 $ CAD | Taille du lot | 5,21 AC |
| Prix par AC | 683 433,41 $ CAD |
| Prix | 3 560 688 $ CAD |
| Prix par AC | 683 433,41 $ CAD |
| Taille du lot | 5,21 AC |
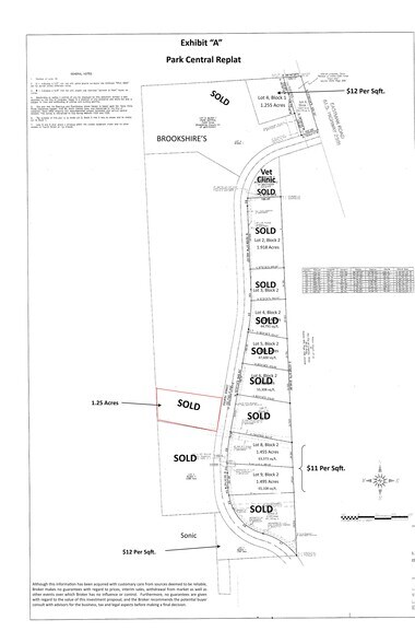
Park Central est un projet de 50 acres situé sur les deux côtés du prolongement de la quatrième rue, de Hawkins Parkway à Eastman Road.
Description
La propriété en cause fait partie du développement central du parc Quatrith Street Extension. Lots à usage mixte à vendre ; vente au détail, bureau, soins médicaux et restaurants. Certains lots ont déjà été vendus à un grand épicier, à des utilisateurs de cabinets médicaux et à des restaurants. Parmi les voisins, mentionnons Christus Good Shepherd North Campus, Hilton Garden Inn, UT Tyler-Longview Campus, ainsi que de nombreux restaurants. Lowes et Home Depot sont situés au sud.
Impôts fonciers
| Numéro de lot | 1209902 | Évaluation des bâtiments | 173 536 $ CAD (2025) |
| Évaluation du terrain | 437 739 $ CAD (2025) | Évaluation totale | 611 275 $ CAD (2025) |
Impôts fonciers
Présenté par
North 4th St. Extension - North 4th St. Extension
Hmm, il semble y avoir eu une erreur lors de l’envoi de votre message. Veuillez réessayer.
Merci! Votre message a été envoyé.
