Se Connecter/S’inscrire
Votre courriel a été envoyé.
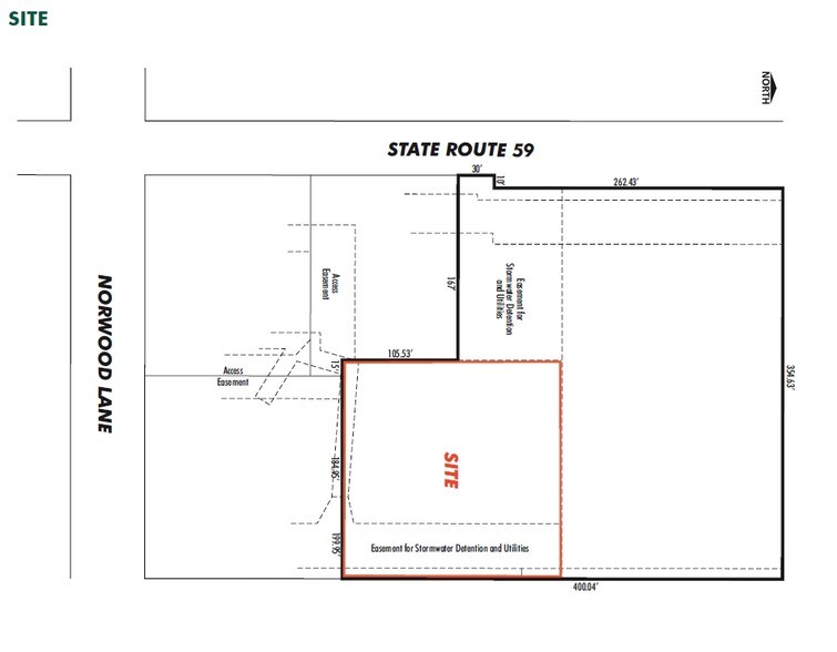
Norwood Ln 4 500 pi² Commerce de détail Immeuble Bartlett, IL 60103 À vendre



Certaines informations ont été traduites automatiquement.
Faits saillants de l'investissement
- Idéalement situé près des quartiers commerciaux achalandés.
- Situé du côté est de la route 59, au nord de Norwood Lane.
Résumé de l'annonce
Ce site prêt à être aménagé sur les routes 59 et Norwood Ln a une superficie de ±30 000 pi2 de terrain constructible, d'une profondeur d'environ 158 x 185 pieds carrés et permet un bâtiment de ±4 500 pieds carrés. Il offre des égouts et de l'eau jusqu'au site avec rétention hors site. La signalisation sur la rue 59 (25 % de la signalisation existante) offre une excellente viabilité sur une route à fort trafic. Demander 15,00$ /pi² ou construire en fonction de vos besoins
Faits sur la propriété
Type de vente
Investissement
Condition de vente
Construction sur mesure
Type de propriété
Commerce de détail
Sous-type de propriété
Immeuble de commerce
Taille du bâtiment
4 500 pi²
Classe d’immeuble
B
Année de construction
2027
État de la construction
Proposé
Location
Unique
Hauteur du bâtiment
1 étage
Coefficient d’occupation des sols de l’immeuble
0,04
Taille du lot
2,89 AC
Zonage
B-2
Commodités
- Affichage
Assez praticable à pied
40/100
Exceptionnellement facile d’accès en voiture
100/100
Transports en commun très limités
10/100
Assez praticable en vélo
30/100
Principaux détaillants à proximité
Impôts fonciers
| Numéro de lot | 01-04-408-013 | Évaluation des bâtiments | 0 $ CAD |
| Évaluation du terrain | 21 253 $ CAD | Évaluation totale | 21 253 $ CAD |
Impôts fonciers
Numéro de lot
01-04-408-013
Évaluation du terrain
21 253 $ CAD
Évaluation des bâtiments
0 $ CAD
Évaluation totale
21 253 $ CAD
1 de 4
Vidéos
Visite extérieure 3D Matterport
Visite 3D Matterport
Photos
Vue depuis la rue
Rue
Carte
Présenté par
Norwood Ln
Vous êtes déjà membre? Connectez-vous
Hmm, il semble y avoir eu une erreur lors de l’envoi de votre message. Veuillez réessayer.
Merci! Votre message a été envoyé.
