Se Connecter/S’inscrire
Votre courriel a été envoyé.
Certaines informations ont été traduites automatiquement.
Faits sur la propriété
| Prix | 545 464 $ CAD | Type de propriété | Terrain |
| Type de vente | Investissement | Sous-type de propriété | Terrain commercial |
| Nombre de lots | 1 | Taille totale du lot | 1,12 AC |
| Zonage | IND | ||
| Prix | 545 464 $ CAD |
| Type de vente | Investissement |
| Nombre de lots | 1 |
| Type de propriété | Terrain |
| Sous-type de propriété | Terrain commercial |
| Taille totale du lot | 1,12 AC |
| Zonage | IND |
1 Lot disponible
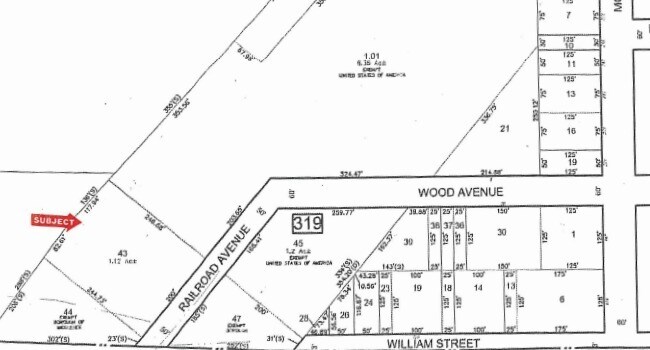
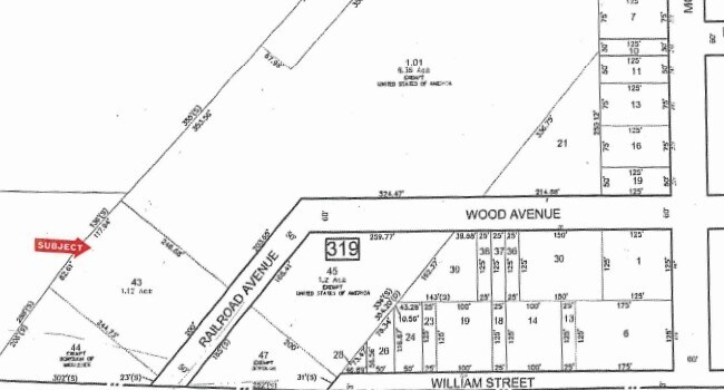
Lot 43
| Prix | 545 464 $ CAD | Taille du lot | 1,12 AC |
| Prix par AC | 487 021,42 $ CAD |
| Prix | 545 464 $ CAD |
| Prix par AC | 487 021,42 $ CAD |
| Taille du lot | 1,12 AC |
• 200 pi x 245 pi • Pas de services publics à la propriété • Bloc 318, lot 43 • Zone industrielle
1 1
Assez practicable à pied
40/100
Exceptionnellement facile d'accès en voiture
90/100
Transports en commun très limités
10/100
Plutôt praticable en vélo
50/100
Impôts fonciers
| Numéro de lot | 10-00318-0000-00043 | Évaluation des bâtiments | 0 $ CAD |
| Évaluation du terrain | 68 183 $ CAD | Évaluation totale | 68 183 $ CAD |
Impôts fonciers
Numéro de lot
10-00318-0000-00043
Évaluation du terrain
68 183 $ CAD
Évaluation des bâtiments
0 $ CAD
Évaluation totale
68 183 $ CAD
1 de 2
Vidéos
Visite extérieure 3D Matterport
Visite 3D Matterport
Photos
Vue depuis la rue
Rue
Carte
1 de 1
Présenté par
Off Mountain Ave
Vous êtes déjà membre? Connectez-vous
Hmm, il semble y avoir eu une erreur lors de l’envoi de votre message. Veuillez réessayer.
Merci! Votre message a été envoyé.

