Votre courriel a été envoyé.
Parks School House Rd - Parks School House Rd & Highway 287 Lot • Terrain commercial • 41 Acres • 8 641 814 $ CAD • Waxahachie, TX 75165



Certaines informations ont été traduites automatiquement.
FAITS SAILLANTS DE L'INVESTISSEMENT
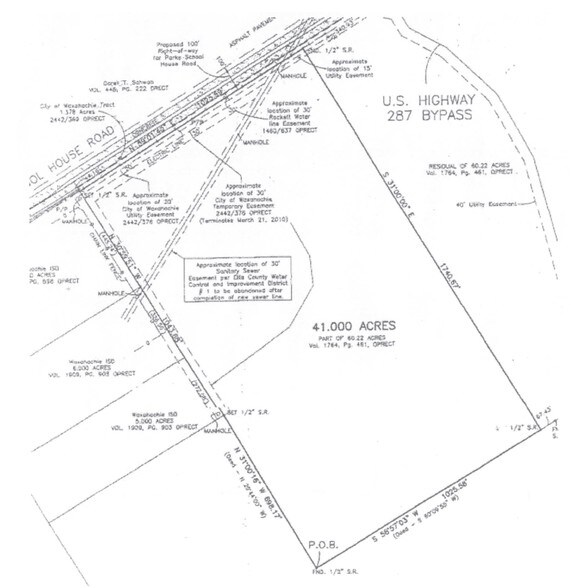
- 41 acres zonées « CC » Community Commercial, prêt pour le développement. Environ 1 025 pi de façade et 1 740 pi de profondeur
- Services publics près du site. 2 milles du centre-ville historique de Waxahachie. 15 minutes de I-20 et I-30
- Clift Estates phase « V » Un ajout d'une rue à l'arrière de Clift Estates
- Emplacement idéal pour le bureau, la vente au détail et l'épicerie. À côté d'Oliver E. Clift Elementary/Waxahachie ISD.
- Situé dans une zone d'opportunités dans un secteur en croissance rapide avec des ensembles domiciliaires de l'autre côté de la rue
- Saddlebrook Estates situé à 3,38 milles de là ajoutera d'autres maisons
RÉSUMÉ DE L'ANNONCE
Quarante et un acres à Waxahachie, au Texas, se trouve près du centre-ville historique, où vous trouverez des antiquaires et des restaurants. L'école élémentaire Oliver E. Clift est située à côté des 41 acres. Camden Park II, un nouveau développement résidentiel se trouve de l'autre côté de la rue. Un troisième ensemble résidentiel a été annoncé tout récemment, qui est situé juste en face des quarante et un acres de quarante et un acres. À côté de l'école primaire se trouve Clift Estates. L'ajout de la phase V de Clift Estates se fera au dos de Clift Estates déjà en place. Les domaines Saddlebrook situés à 3,38 milles ajouteront d'autres maisons. Il s'agit d'une excellente occasion pour de nouveaux développements. Profitez de cette région en pleine croissance !
FAITS SUR LA PROPRIÉTÉ
1 LOT DISPONIBLE
Lot
| Prix | 8 641 814 $ CAD | Taille du lot | 41,00 AC |
| Prix par AC | 210 775,96 $ CAD |
| Prix | 8 641 814 $ CAD |
| Prix par AC | 210 775,96 $ CAD |
| Taille du lot | 41,00 AC |
Les 41 acres défrichés sont situés à droite de l'école élémentaire Oliver E. Clift. Prenez la route 287 vers le sud et sortez à droite sur Parks School House Rd.
DESCRIPTION
Fourchette de prix : 3,50$ PSF. Situé dans une zone d'opportunité. Quarante et un acres à Waxahachie, au Texas, se trouvent près du centre-ville historique, où des boutiques d'antiquités et des restaurants sont disponibles. L'école primaire Oliver E. Clift est située à côté des 41 acres. Camden Park II, nouveau développement résidentiel se trouve de l'autre côté de la rue. Un troisième développement domiciliaire a été annoncé récemment, qui est situé juste en face de la rue des 41 acres. À côté de l'école primaire se trouve Clift Estates. L'ajout de la phase V de Clift Estates sera à l'arrière de Clift Estates établis. Saddlebrook Estates situé à 3,38 milles de là ajoutera d'autres maisons. Il s'agit d'une excellente occasion de développement. Profitez de cette région en croissance rapide !
Impôts fonciers
| Numéro de lot | 248126 | Évaluation des bâtiments | 0 $ CAD |
| Évaluation du terrain | 19 891 $ CAD | Évaluation totale | 19 891 $ CAD |
Impôts fonciers
Présenté par
Parks School House Rd - Parks School House Rd & Highway 287
Hmm, il semble y avoir eu une erreur lors de l’envoi de votre message. Veuillez réessayer.
Merci! Votre message a été envoyé.
