Se Connecter/S’inscrire
Votre courriel a été envoyé.
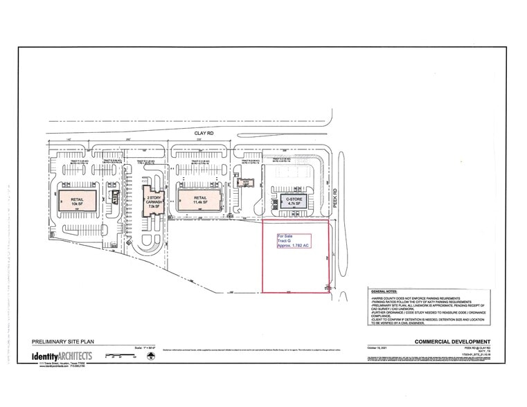
Peek Rd - Crossing at Katy Trails Lot • Terrain commercial • 1,78 Acres • 2 146 301 $ CAD • Katy, TX 77493


Certaines informations ont été traduites automatiquement.
FAITS SAILLANTS DE L'INVESTISSEMENT
- Surrounded by single family and multi-family developments.
- Heavy Traffic Counts at the intersection of Clay and Peek Roads.
- Directly across from 1.0M sf industrial park where an Amazon Procurement Center is located.
- Close access to the Grand Parkway via Clay or Peek Roads.
RÉSUMÉ DE L'ANNONCE
Prohibitive develoment restrictions include no car wash, day care, shopping center, convenience store with gas or quick lube. .
FAITS SUR LA PROPRIÉTÉ
1 LOT DISPONIBLE
Lot Tract G
| Prix | 2 146 301 $ CAD | Taille du lot | 1,78 AC |
| Prix par AC | 1 204 432,38 $ CAD |
| Prix | 2 146 301 $ CAD |
| Prix par AC | 1 204 432,38 $ CAD |
| Taille du lot | 1,78 AC |
Direct Peek Road ingress and egress via two entrances in addition to cross access rights to Clay Road. . Located in Harris County with a Katy address. This tract has all utilities available to the site.
1 1
Impôts fonciers
| Numéro de lot | 1402470010008 | Évaluation des bâtiments | 0 $ CAD |
| Évaluation du terrain | 1 064 142 $ CAD | Évaluation totale | 1 064 142 $ CAD |
Impôts fonciers
Numéro de lot
1402470010008
Évaluation du terrain
1 064 142 $ CAD
Évaluation des bâtiments
0 $ CAD
Évaluation totale
1 064 142 $ CAD
1 de 3
VIDÉOS
VISITE EXTÉRIEURE 3D MATTERPORT
VISITE 3D MATTERPORT
PHOTOS
VUE DEPUIS LA RUE
RUE
CARTE
1 de 1
Présenté par
Peek Rd - Crossing at Katy Trails
Vous êtes déjà membre? Connectez-vous
Hmm, il semble y avoir eu une erreur lors de l’envoi de votre message. Veuillez réessayer.
Merci! Votre message a été envoyé.
