Votre courriel a été envoyé.
Certaines informations ont été traduites automatiquement.
Faits saillants de l'investissement
- Nombre de trafic intense
- Près de la I-75, de l'autoroute 20 et de la promenade Joe Frank Harris (route 41).
Résumé de l'annonce
un projet de développement commercial planifié à l'intersection nouvellement construite de la route 411 des États-Unis, de la route 41 des États-Unis et de la GA State Hwy. 20.
Ce développement a été le lieu de choix pour Tractor Supply, Family Savings Credit Union et d'autres entreprises de premier plan.
les utilisateurs de The triangle à Peeples Valley et Highlands Commercial Development adjacent, y compris le Savoy Automobile
Musée. Le Campus de l'Hôpital Piedmont est situé juste au sud-est de la propriété. Il aime être dans une région où le trafic est élevé,
centres d'emploi, commerces de détail nouveaux et établis, développement multifamilial, Georgia Highlands College, Walmart, Lowe's, Taylor et
Le centre commercial de Cartersville de Mathis +/ 246 000 pi2, pour n'en nommer que quelques-uns. Zoné G-C (commerce général).
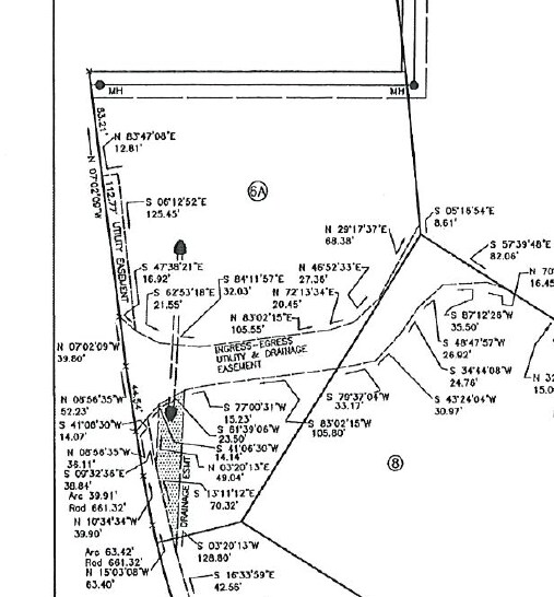
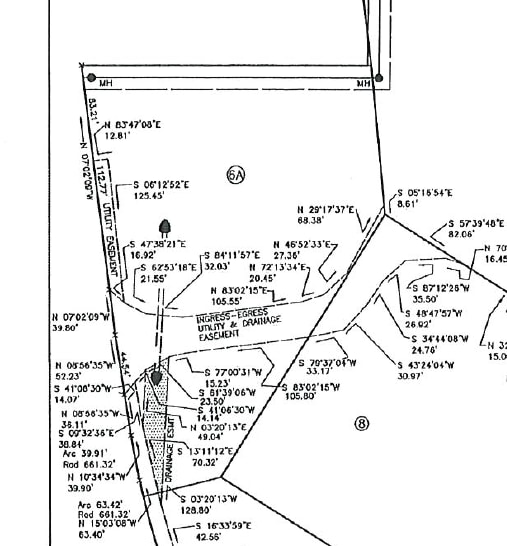
Le site contient un bassin régional de rétention des eaux pluviales existant qui est achevé pour desservir la propriété. Le site est desservi par deux
points d'accès, l'un sur le chemin Peeples Valley et l'autre sur la route américaine 411 attenante à Tractor Supply
Faits sur la propriété
| Prix | 591 473 $ CAD | Sous-type de propriété | Terrain commercial |
| Type de vente | Investissement | Utilisation proposée | Commercial |
| Nombre de lots | 1 | Taille totale du lot | 1,61 AC |
| Type de propriété | Terrain | ||
| Zonage | G-C - Commercial général | ||
| Prix | 591 473 $ CAD |
| Type de vente | Investissement |
| Nombre de lots | 1 |
| Type de propriété | Terrain |
| Sous-type de propriété | Terrain commercial |
| Utilisation proposée | Commercial |
| Taille totale du lot | 1,61 AC |
| Zonage | G-C - Commercial général |
1 Lot disponible
Lot
| Prix | 591 473 $ CAD | Taille du lot | 1,61 AC |
| Prix par AC | 367 374,23 $ CAD |
| Prix | 591 473 $ CAD |
| Prix par AC | 367 374,23 $ CAD |
| Taille du lot | 1,61 AC |
1.615 Acre general commercial site located within a Master planned commercial development at the newly constructed Intersection of US Hwy. 411, US Hwy. 41 and GA State Hwy. 20.
Description
Terrain commercial de 1,615 acre situé dans un développement commercial planifié au sein d'un carrefour récemment construit entre l'US Hwy. 411, l'US Hwy. 41 et la GA State Hwy. 20. Ce développement est devenu un emplacement privilégié pour des entreprises telles que Tractor Supply, Family Savings Credit Union et d'autres utilisateurs commerciaux de renom dans le triangle de Peeples Valley et le développement commercial voisin Highlands, incluant le musée automobile Savoy. Le campus de l'hôpital Piedmont se trouve juste au sud-est de la propriété. Ce site bénéficie d'une forte circulation, de centres d'emploi, de commerces de détail récents et établis, de développements multifamiliaux, du Georgia Highlands College, de Walmart, de Lowe’s, et du centre Cartersville Commerce de Taylor & Mathis (+/- 246 000 pi²), pour n'en nommer que quelques-uns. Zoné G-C (Commercial Général).
Impôts fonciers
| Numéro de lot | C101-0003-009 | Évaluation des bâtiments | 0 $ CAD |
| Évaluation du terrain | 163 080 $ CAD | Évaluation totale | 163 080 $ CAD |
Impôts fonciers
Présenté par
Peeples Valley Rd
Hmm, il semble y avoir eu une erreur lors de l’envoi de votre message. Veuillez réessayer.
Merci! Votre message a été envoyé.


