Votre courriel a été envoyé.
Pelabravo, Salamanca 37181 Lot • Terrain commercial • 0,58 Acres • 114 976 $ CAD

Certaines informations ont été traduites automatiquement.
Faits sur la propriété
| Prix | 114 976 $ CAD | Type de propriété | Terrain |
| Type de vente | Investissement ou propriétaire utilisateur | Sous-type de propriété | Terrain commercial |
| Nombre de lots | 1 | Taille totale du lot | 0,58 AC |
| Prix | 114 976 $ CAD |
| Type de vente | Investissement ou propriétaire utilisateur |
| Nombre de lots | 1 |
| Type de propriété | Terrain |
| Sous-type de propriété | Terrain commercial |
| Taille totale du lot | 0,58 AC |
1 Lot disponible
Lot
| Prix | 114 976 $ CAD | Taille du lot | 0,58 AC |
| Prix par AC | 196 907,07 $ CAD |
| Prix | 114 976 $ CAD |
| Prix par AC | 196 907,07 $ CAD |
| Taille du lot | 0,58 AC |
Description
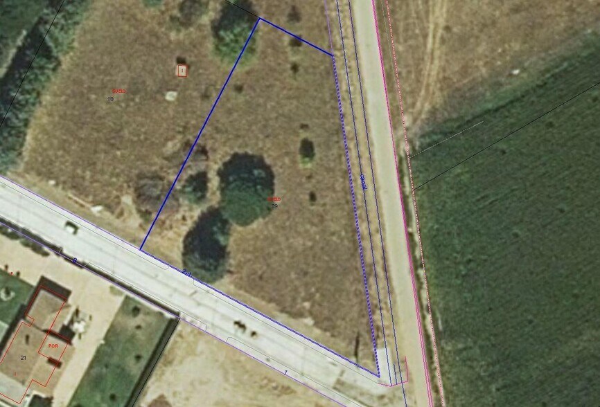
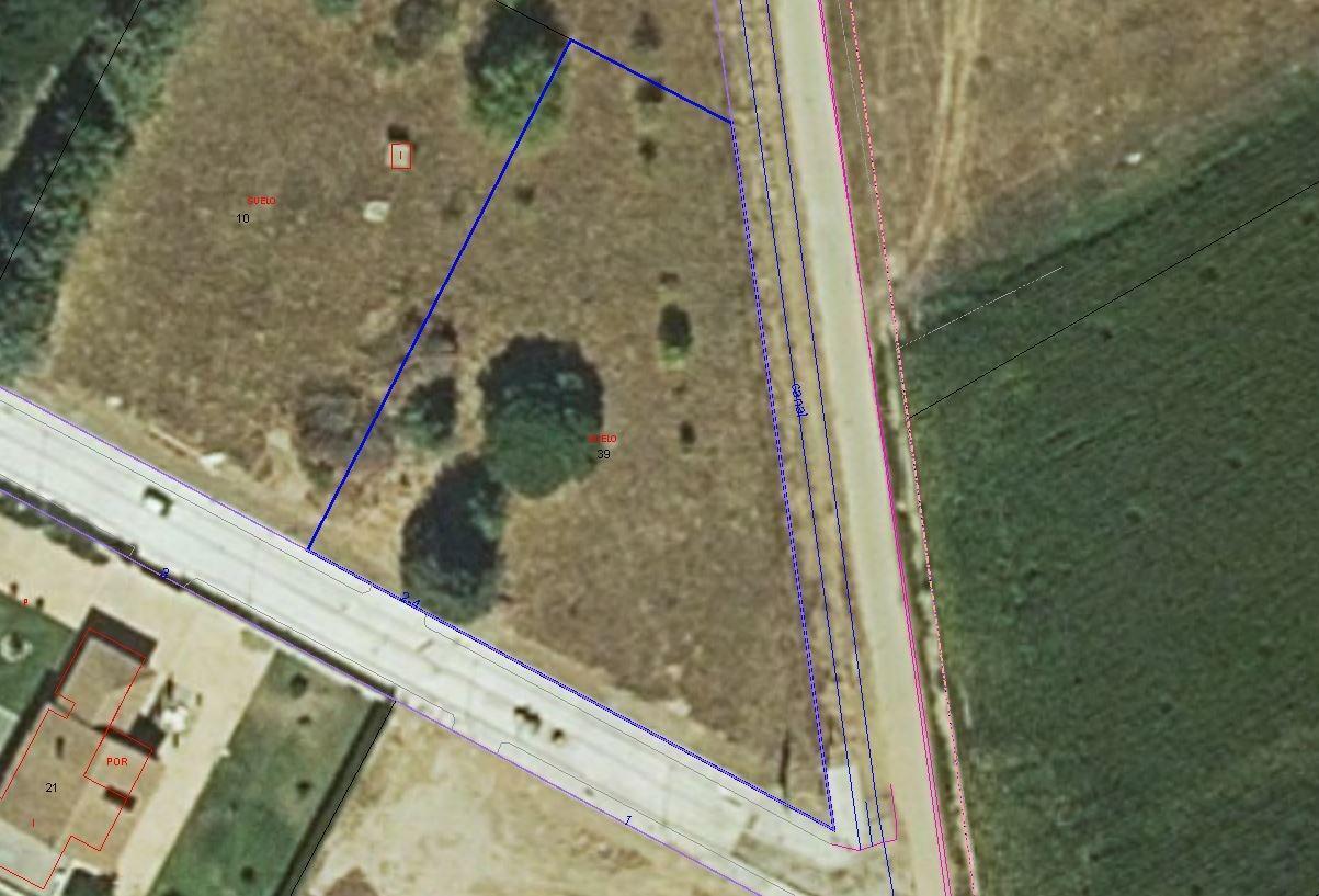
Urbis te ofrece una parcela en venta en zona Naharros del Río, Pelabravo, Salamanca... Descubre esta parcela excepcional en la zona de Naharros del Río, una oportunidad única para construir la casa de tus sueños en un entorno natural y tranquilo. Está situada en una urbanización consolidada y calificada como urbana, viviendo 40 familias permanentemente. La urbanización dispone de diferentes servicios, como piscina, tenis, baloncesto y fútbol... Tiene varias posibilidades, se puede construir un chalet de 400 m2 o dos de 200 m2, pareados o individuales... Con una generosa superficie de 2363 m2, esta propiedad ofrece un lienzo en blanco para tu imaginación arquitectónica. ¿Listo para dar vida a tus ideas y crear el hogar perfecto?... No lo dudes, aquí tienes el terreno de tus sueños... Comparte con nosotros tus sueños y nuestro PERSONAL SHOPPER inmobiliario los hará realidad. Financiación a medida, hasta el 100%... ¿Quieres visitarlo? o necesitas más información, llama al y pásate al rosa... Por deseo de algunos propietarios, tenemos inmuebles en esta misma zona que solo están anunciados en nuestra web. Para verlos entre en... Este anuncio no es vinculante y puede contener errores; se muestra a título informativo y no contractual. Gracias por su tiempo...
Présenté par
"Pelabravo, Salamanca 37181"
Hmm, il semble y avoir eu une erreur lors de l’envoi de votre message. Veuillez réessayer.
Merci! Votre message a été envoyé.
