Se Connecter/S’inscrire
Votre courriel a été envoyé.
Potranco Rd - MF, Office , Charter School, Self Storage Lot • Terrain commercial • 7,4 Acres • 3 429 975 $ CAD • San Antonio, TX 78245



Certaines informations ont été traduites automatiquement.
Faits saillants de l'investissement
- Situé sur le quartier en plein essor de Potranco, près du 211. Près du nouveau HEB.
- Adjacent aux grands développements commerciaux et résidentiels.
- Idéal pour MF, école à charte ou libre-entreposage, bureau, communauté de retraite.
- Easy access to Loop 1604, Highway 151 and US Hwy 90
Résumé de l'annonce
Excellent site MF. Sur le chemin Far West, en plein essor, à Potranco, près du 211. Platted et tous les services publics sur le site. Le vendeur est flexible en ce qui concerne le prix et est ouvert à une fermeture rapide. Adjacent à un important développement résidentiel et commercial. Idéal pour le développement MF, les écoles à charte, le libre-entreposage ou le cabinet médical
Faits sur la propriété
1 Lot disponible
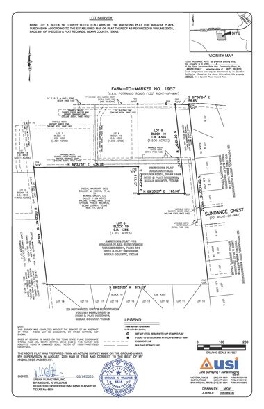
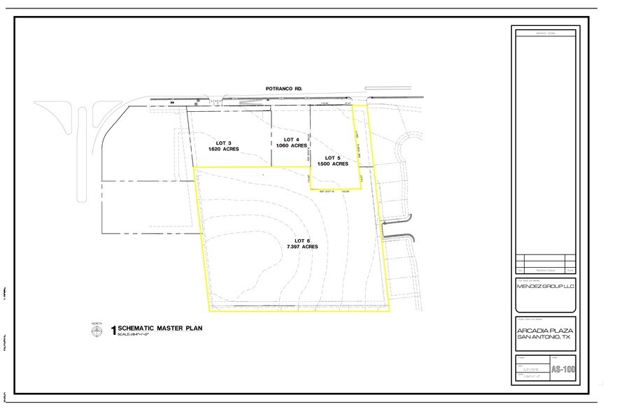
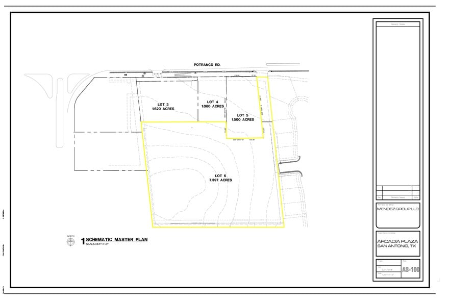
Lot 6
| Prix | 3 429 975 $ CAD | Taille du lot | 7,40 AC |
| Prix par AC | 463 510,15 $ CAD |
| Prix | 3 429 975 $ CAD |
| Prix par AC | 463 510,15 $ CAD |
| Taille du lot | 7,40 AC |
Platé de 7,4 acres avec tous les services publics sur le site.
Description
7.4 Acres ensemencés. Tous les services publics sur le site. Idéal pour MF, école à charte, libre-entreposage ou communauté de retraite. Sur le chemin Potranco près du 211. Nouveau HEB à proximité du site. Zone en plein essor.
1 1
Plutôt praticable à pied
30/100
Exceptionnellement facile d’accès en voiture
90/100
Plutôt praticable en vélo
40/100
1 de 4
Vidéos
Visite extérieure 3D Matterport
Visite 3D Matterport
Photos
Vue depuis la rue
Rue
Carte
1 de 1
Présenté par
Potranco Rd - MF, Office , Charter School, Self Storage
Vous êtes déjà membre? Connectez-vous
Hmm, il semble y avoir eu une erreur lors de l’envoi de votre message. Veuillez réessayer.
Merci! Votre message a été envoyé.
