Votre courriel a été envoyé.
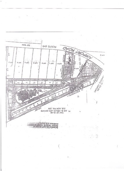
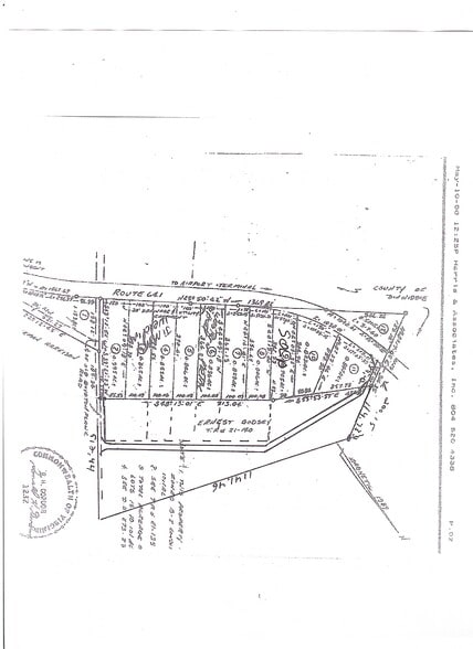
RT 641 Dinwiddie VA - 641 Airport RD Dinwiddie VA. Industrial site Lot • Terrain industriel • 8,67 Acres • Petersburg, VA 23803



Certaines informations ont été traduites automatiquement.
Faits saillants de l'investissement
- Emplacement à côté de l'aéroport et des grandes zones industrielles.
- major transportation hubs are their.
- Tous les services publics sont disponibles, y compris le Wi-Fi et le gaz.
Résumé de l'annonce
services publics sur place. Emplacements de pavés disponibles dès maintenant. 9,45 acres. Zone M1. La taille des bâtiments sera de 1 250 pieds carrés à 20 000 pieds carrés ou plus. Aires d'entreposage pour les remorques et les bateaux de stationnement. Et les emplacements d'entreposage individuels. Le site sera sécurisé au moyen de clôtures et de sécurité. Joignez-vous à nous. Prix très compétitifs. Centre industriel et de stockage rural 23500 Airport RD Dinwiddie County VA. 804 715 2259.
Tous les terrains viennent d'être approuvés pour le zonage M-1.
Faits sur la propriété
1 Lot disponible
Lot
| Taille du lot | 8,67 AC |
| Taille du lot | 8,67 AC |
Prêt pour l'emplacement du pavé. Services publics sur le site. POUVOIR. EAU. ÉGOUT. Zone M1. Offre En location, construire en fonction des sites. Ou à vendre. Peut se subdiviser. Excellent emplacement à l'aéroport de Petersburg. À côté de AMAZON DIST CENTER. CENTRE DE DISTRIBUTION D'ALDI. FEUILLES DE DISETTE WALMART
Description
9,45 Acres. Zoné M1. Tous les services publics sur place. Des clôtures de sécurité seront installées. Des zones sécurisées sont offertes. Sites industriels et d'entreposage disponibles.
Impôts fonciers
| Numéros de lot | Évaluation des bâtiments | 2 056 $ CAD | |
| Évaluation du terrain | 237 300 $ CAD | Évaluation totale | 239 356 $ CAD |
Impôts fonciers
Présenté par
Trailview LLC
RT 641 Dinwiddie VA - 641 Airport RD Dinwiddie VA. Industrial site
Hmm, il semble y avoir eu une erreur lors de l’envoi de votre message. Veuillez réessayer.
Merci! Votre message a été envoyé.
