Se Connecter/S’inscrire
Votre courriel a été envoyé.
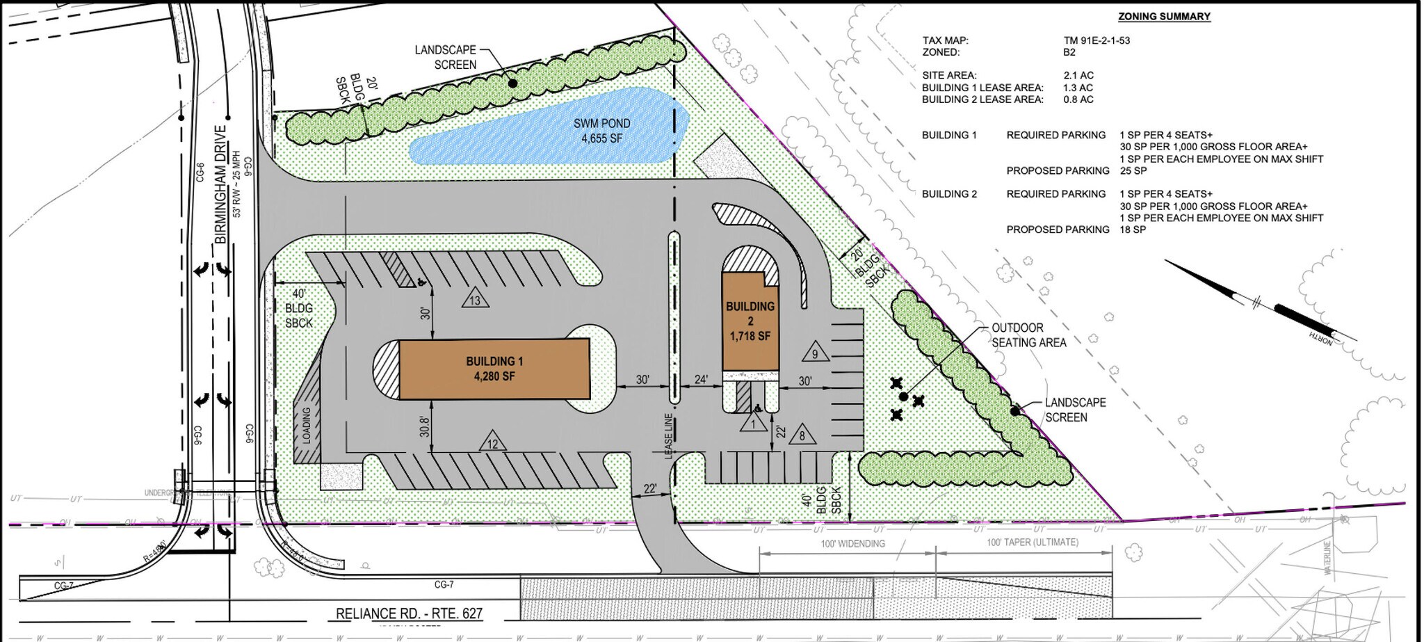
Middletown Ground Lease Opportunity Reliance Road Terrain à louer de 2 acres • Terrain commercial • Middletown, VA 22645


Certaines informations ont été traduites automatiquement.
Faits saillants
- Strategic Gateway Location
- Infrastructure Ready
- Excellent Visibility & Access
- High-Traffic Neighbors - WAWA, Sheetz, 7-Eleven
LOT Disponible
Afficher les taux de location en
| Taux de location |
|
Taille du lot | 2,00 AC |
| Durée du bail | 5 - 20 ans |
| Taux de location | |
| Durée du bail | 5 - 20 ans |
| Taille du lot | 2,00 AC |
Building description Build-to-Suit or Ground Lease Opportunity: 2.14-Acre B-2 Commercial Site We are pleased to offer a 2.14-acre, development-ready site for ground lease. This property features flexible B-2 Highway Commercial zoning, offering an ideal pad site for your new construction. Site & Location Highlights Strategic Gateway Location: Positioned at the I-81 Exit #302 "Gateway Entrance" to the Historic Town of Middletown. The site offers convenient access and is just a short drive from I-66. Excellent Visibility & Access: The property boasts high visibility and benefits from significant traffic flow from commuters, travelers, and the local community. Infrastructure Ready: The site is primed for development with public utilities readily available, streamlining your build-out process. A Hub of Commercial & Residential Growth This site is perfectly positioned to capture a robust and growing customer base. High-Traffic Neighbors: Join a successful commercial corridor. The property is located next to McDonald's and surrounded by high-traffic national brands, including: Sheetz (recently opened) WAWA ( Under Construction) 7-Eleven Comfort Inn Dollar General Liberty C-Store & Fuel Depot Rapid Residential Expansion: The immediate area is experiencing substantial residential growth. You are surrounded by "The Village at Middletown" by Ryan Homes, with Richmond American Homes currently building 90 additional single-family homes nearby. Strong Daytime Population: The site is in close proximity to Laurel Ridge Community College (3,500 students and staff) and the Historic Wayside Inn (c. 1797), which draw significant daily traffic.
Aperçu de la propriété
Build-to-Suit or Ground Lease Opportunity: 2.14-Acre B-2 Commercial Site We are pleased to offer a 2.14-acre, development-ready site for ground lease. This property features flexible B-2 Highway Commercial zoning, offering an ideal pad site for your new construction.
Faits sur la propriété
1 1
Plutôt praticable à pied
20/100
Exceptionnellement facile d’accès en voiture
100/100
Transports en commun limités
20/100
Assez praticable en vélo
20/100
1 de 3
Vidéos
Visite extérieure 3D Matterport
Visite 3D Matterport
Photos
Vue depuis la rue
Rue
Carte
1 de 1
Présenté par
DVK Group
Middletown Ground Lease Opportunity | Reliance Road
Vous êtes déjà membre? Connectez-vous
Hmm, il semble y avoir eu une erreur lors de l’envoi de votre message. Veuillez réessayer.
Merci! Votre message a été envoyé.
