Se Connecter/S’inscrire
Votre courriel a été envoyé.
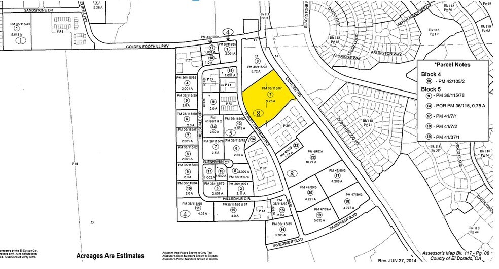
Robert J Mathews Pky
El Dorado Hills, CA 95762
El Dorado Hills Business Park · Terrain À vendre
·
9,25 AC


Certaines informations ont été traduites automatiquement.
Faits saillants de l'investissement
- Le site est l'épicentre des riches collines El Dorado et du sous-marché de South Folsom à forte croissance.
- Excellent accès à l'autoroute US Highway 50.
- Site de développement de choix pour les projets de recherche et de développement industriel du propriétaire/utilisateur, de l'école et de l'industrie.
Résumé de l'annonce
Ce terrain vacant de 9,25 acres est situé dans les collines d'El Dorado, dans le nord de la Californie. Elle est délimitée à l'ouest par Robert J Mathews Pkwy et à l'est par le chemin Latrobe. Le parc d'affaires El Dorado Hills serait une occasion de développement privilégiée pour un propriétaire/utilisateur ou pour un promoteur ayant un besoin de locataires commerciaux ou industriels. Cette propriété commerciale (Zonée R&D et industrielle) est stratégiquement située juste au sud de l'autoroute 50, sur le chemin Latrobe. Il est bien placé pour desservir la ville en pleine croissance de Folsom et l'ouest du comté d'El Dorado.
Faits sur la propriété
| Type de vente | Investissement | Sous-type de propriété | Résidentiel |
| Nombre de lots | 1 | Utilisation proposée | |
| Type de propriété | Terrain | Taille totale du lot | 9,25 AC |
| Zonage | RD | ||
| Type de vente | Investissement |
| Nombre de lots | 1 |
| Type de propriété | Terrain |
| Sous-type de propriété | Résidentiel |
| Utilisation proposée | |
| Taille totale du lot | 9,25 AC |
| Zonage | RD |
1 Lot disponible
Lot
| Prix | 3 824 894 $ CAD | Taille du lot | 9,25 AC |
| Prix par AC | 413 502,00 $ CAD |
| Prix | 3 824 894 $ CAD |
| Prix par AC | 413 502,00 $ CAD |
| Taille du lot | 9,25 AC |
Site de développement presque prêt à être mis en place dans l'épicentre de la croissance industrielle et résidentielle massive qui se produit actuellement dans les collines El Dorado et South Folsom.
Impôts fonciers
| Numéro de lot | 117-088-007-000 | Évaluation des bâtiments | 0 $ CAD |
| Évaluation du terrain | 1 498 490 $ CAD | Évaluation totale | 1 498 490 $ CAD |
Impôts fonciers
Numéro de lot
117-088-007-000
Évaluation du terrain
1 498 490 $ CAD
Évaluation des bâtiments
0 $ CAD
Évaluation totale
1 498 490 $ CAD
1 de 3
Vidéos
Visite extérieure 3D Matterport
Visite 3D Matterport
Photos
Vue depuis la rue
Rue
Carte
