Se Connecter/S’inscrire
Votre courriel a été envoyé.
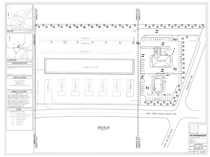
Robinson Ln - Signalized Corner Development Site Lot • Terrain commercial • 1,5 Acres • 1 334 190 $ CAD • East Fishkill, NY 12533



Certaines informations ont été traduites automatiquement.
Faits saillants de l'investissement
- B3 Le zonage commercial permet une variété d'utilisations.
- La propriété est d'une superficie de 1,5 acre plat à une intersection signalée.
- Des installations municipales d'aqueduc et de fosse septique existent déjà sur place.
Résumé de l'annonce
BHHS Hudson Valley est heureux d'offrir à la vente une parcelle de 1,5 acre dans un corridor commercial établi dans la ville d'East Fishkill (code postal de Wappingers Fall). Ce site de développement de coin plat est zoné commercial (zone B3). Les plans d'emplacement proposés au dossier pour un immeuble de vente au détail de 14 673 pieds carrés ainsi que les concepts de deux pavés autonomes. Eau municipale jusqu'au site. Développement idéal pour les banques, le commerce de détail, le service au volant, les services médicaux et plus encore. Le nouveau zonage B-3 permet une utilisation mixte potentielle avec des appartements résidentiels au 2e étage.
Faits sur la propriété
1 Lot disponible
Lot
| Prix | 1 334 190 $ CAD | Taille du lot | 1,50 AC |
| Prix par AC | 889 459,99 $ CAD |
| Prix | 1 334 190 $ CAD |
| Prix par AC | 889 459,99 $ CAD |
| Taille du lot | 1,50 AC |
B3 Terrain commercial avec eau municipale/fosse septique
Description
Ce terrain plat de coin est situé dans un corridor commercial dynamique. La région bénéficie d'un nombre élevé de trafic et d'un mélange diversifié de locataires dans la région immédiate.
Impôts fonciers
| Numéro de lot | 132800-6358-02-743609-0000 | Évaluation des bâtiments | 0 $ CAD |
| Évaluation du terrain | 131 237 $ CAD | Évaluation totale | 131 237 $ CAD |
Impôts fonciers
Numéro de lot
132800-6358-02-743609-0000
Évaluation du terrain
131 237 $ CAD
Évaluation des bâtiments
0 $ CAD
Évaluation totale
131 237 $ CAD
1 de 15
Vidéos
Visite extérieure 3D Matterport
Visite 3D Matterport
Photos
Vue depuis la rue
Rue
Carte
Présenté par
Robinson Ln - Signalized Corner Development Site
Vous êtes déjà membre? Connectez-vous
Hmm, il semble y avoir eu une erreur lors de l’envoi de votre message. Veuillez réessayer.
Merci! Votre message a été envoyé.
Votre message a été envoyé !
Activez votre compte LoopNet dès maintenant pour suivre les propriétés, recevoir des alertes en temps réel, gagner du temps sur vos demandes futures et bien plus encore.

