Se Connecter/S’inscrire
Votre courriel a été envoyé.
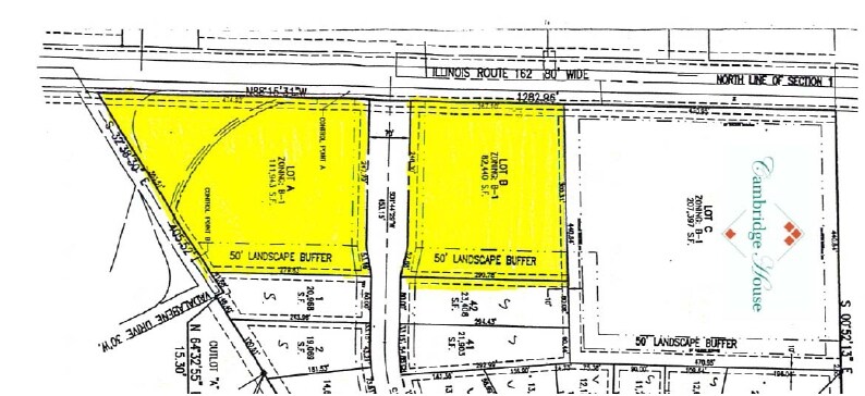
Route 162 & Vadalabene Dr - Lot B Lot • Terrain commercial • 1,86 Acres • 732 872 $ CAD • Maryville, IL 62062



Certaines informations ont été traduites automatiquement.
FAITS SAILLANTS DE L'INVESTISSEMENT
- À seulement un pâté de maisons du Mercy Clinic Oncology & Hematology Center
RÉSUMÉ DE L'ANNONCE
Tous les services publics. Zoné B-1.
FAITS SUR LA PROPRIÉTÉ
| Prix | 732 872 $ CAD | Sous-type de propriété | Terrain commercial |
| Type de vente | Investissement | Utilisation proposée | Commercial |
| Nombre de lots | 1 | Taille totale du lot | 1,86 AC |
| Type de propriété | Terrain | ||
| Zonage | B1 | ||
| Prix | 732 872 $ CAD |
| Type de vente | Investissement |
| Nombre de lots | 1 |
| Type de propriété | Terrain |
| Sous-type de propriété | Terrain commercial |
| Utilisation proposée | Commercial |
| Taille totale du lot | 1,86 AC |
| Zonage | B1 |
1 LOT DISPONIBLE
Lot Lot B
| Prix | 732 872 $ CAD | Taille du lot | 1,86 AC |
| Prix par AC | 393 763,29 $ CAD |
| Prix | 732 872 $ CAD |
| Prix par AC | 393 763,29 $ CAD |
| Taille du lot | 1,86 AC |
Terrain A : 1,93 acres (84 112 pieds carrés) 180 pi de façade. Terrain B : façade de 1,86 acres (81 073 pieds carrés) 261'.
DESCRIPTION
Juste à l'est de l'hôpital Anderson et promenade Vadalabene
1 1
Impôts fonciers
| Numéro de lot | 13-2-21-01-14-301-044 | Évaluation des bâtiments | 0 $ CAD |
| Évaluation du terrain | 849 $ CAD | Évaluation totale | 849 $ CAD |
Impôts fonciers
Numéro de lot
13-2-21-01-14-301-044
Évaluation du terrain
849 $ CAD
Évaluation des bâtiments
0 $ CAD
Évaluation totale
849 $ CAD
1 de 4
VIDÉOS
VISITE EXTÉRIEURE 3D MATTERPORT
VISITE 3D MATTERPORT
PHOTOS
VUE DEPUIS LA RUE
RUE
CARTE
1 de 1
Présenté par
Route 162 & Vadalabene Dr - Lot B
Vous êtes déjà membre? Connectez-vous
Hmm, il semble y avoir eu une erreur lors de l’envoi de votre message. Veuillez réessayer.
Merci! Votre message a été envoyé.
