Se Connecter/S’inscrire
Votre courriel a été envoyé.
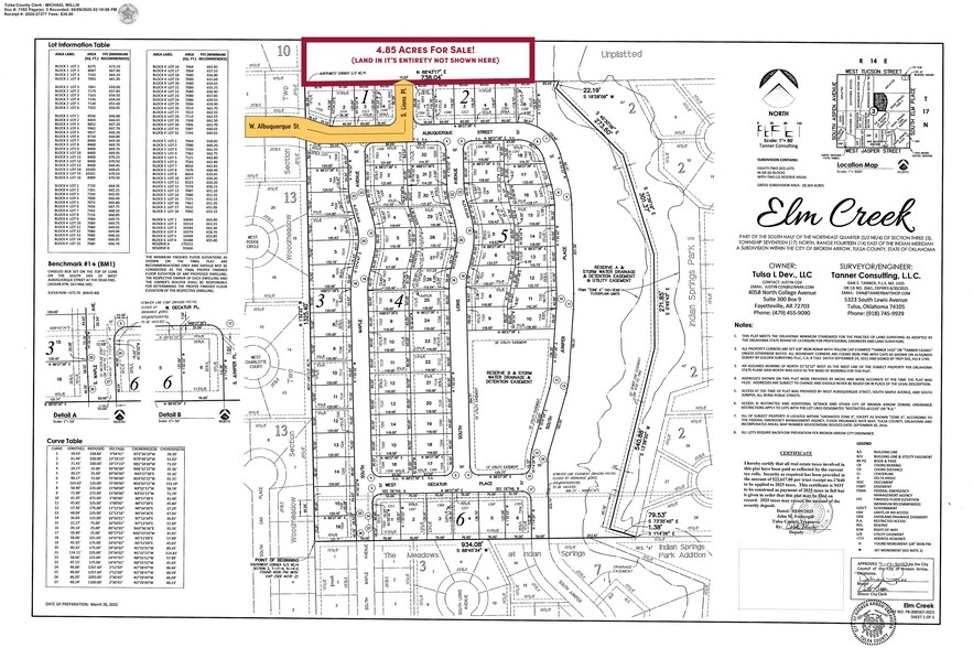
S 121st Street West of Elm - Builder Opportunity | 4.85 Acres Land Lot • Résidentiel • 4,85 Acres • 766 884 $ CAD • Broken Arrow, OK 74011



Certaines informations ont été traduites automatiquement.
Faits saillants de l'investissement
- Strong retail corridor supporting residential growth
- Ideal size for small builder project (12–20 lots conceptual)
- Utilities available
- Minutes from major national retailers and dining
- End-of-street layout potential (cul-de-sac)
- Adjacent to Elm Creek residential development
Résumé de l'annonce
Builder Opportunity | 4.85 Acres Near Major Retail Corridor | Broken Arrow
±4.85 acres of residential-zoned land ideally positioned for builders in a high-growth corridor of South Broken Arrow.
Located at the end of Lions St. between 121st and 131st near Elm & Aspen, this property offers a prime opportunity for a small subdivision or spec home development in an area supported by strong retail and residential growth.
The site is adjacent to the Elm Creek development, providing immediate validation of demand, pricing, and absorption. Utilities are available, helping reduce development timelines and upfront costs.
The property is located just minutes from major national retailers including Walmart, Home Depot, Aldi, Starbucks, CVS, Hobby Lobby, Wingstop, and a Regal Cinemas location—providing everyday convenience and lifestyle amenities that today’s homebuyers prioritize.
Additionally, the site is near Indian Springs Country Club, further enhancing long-term home value and marketability.
Builder Highlights:
• ±4.85 Acres
• Residential zoning
• Utilities available
• Adjacent to Elm Creek development
• Minutes from major national retailers & dining
• Ideal for 12–20 lot subdivision (conceptual)
• Strong buyer demand drivers in immediate area
±4.85 acres of residential-zoned land ideally positioned for builders in a high-growth corridor of South Broken Arrow.
Located at the end of Lions St. between 121st and 131st near Elm & Aspen, this property offers a prime opportunity for a small subdivision or spec home development in an area supported by strong retail and residential growth.
The site is adjacent to the Elm Creek development, providing immediate validation of demand, pricing, and absorption. Utilities are available, helping reduce development timelines and upfront costs.
The property is located just minutes from major national retailers including Walmart, Home Depot, Aldi, Starbucks, CVS, Hobby Lobby, Wingstop, and a Regal Cinemas location—providing everyday convenience and lifestyle amenities that today’s homebuyers prioritize.
Additionally, the site is near Indian Springs Country Club, further enhancing long-term home value and marketability.
Builder Highlights:
• ±4.85 Acres
• Residential zoning
• Utilities available
• Adjacent to Elm Creek development
• Minutes from major national retailers & dining
• Ideal for 12–20 lot subdivision (conceptual)
• Strong buyer demand drivers in immediate area
Faits sur la propriété
1 Lot disponible
Lot
| Prix | 766 884 $ CAD | Taille du lot | 4,85 AC |
| Prix par AC | 158 120,39 $ CAD |
| Prix | 766 884 $ CAD |
| Prix par AC | 158 120,39 $ CAD |
| Taille du lot | 4,85 AC |
Directions to Land: From Tucson (121st), turn onto S. Oak Ave., then turn onto W. Albuquerque St., then S. Lions Place.
Description
Terrain situé dans un secteur calme et accessible à South Broken, prêt pour le développement!
Plutôt praticable à pied
30/100
Très facile d’accès en voiture
80/100
Plutôt praticable en vélo
40/100
Impôts fonciers
| Numéro de lot | 97403-74-03-27710 | Évaluation des bâtiments | 0 $ CAD |
| Évaluation du terrain | 5 278 $ CAD | Évaluation totale | 5 278 $ CAD |
Impôts fonciers
Numéro de lot
97403-74-03-27710
Évaluation du terrain
5 278 $ CAD
Évaluation des bâtiments
0 $ CAD
Évaluation totale
5 278 $ CAD
1 de 12
Vidéos
Visite extérieure 3D Matterport
Visite 3D Matterport
Photos
Vue depuis la rue
Rue
Carte
Présenté par
S 121st Street West of Elm - Builder Opportunity | 4.85 Acres Land
Vous êtes déjà membre? Connectez-vous
Hmm, il semble y avoir eu une erreur lors de l’envoi de votre message. Veuillez réessayer.
Merci! Votre message a été envoyé.

