Votre courriel a été envoyé.
Certaines informations ont été traduites automatiquement.
Faits saillants de l'investissement
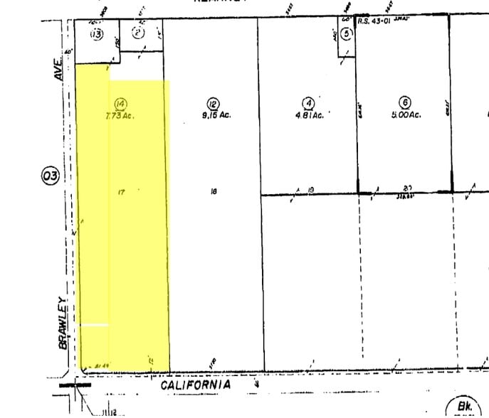
- Approximately 7.32 acres positioned within Fresno’s Sphere of Influence.
- General Plan future land use designation for Residential - Medium Low Density.
- Prominent visibility along Brawley Avenue and California Avenue.
- Close proximity to major highways, including Freeways 99 and 180, and Downtown Fresno.
- P.G.&E. available with Fresno water and sewer less than one mile away.
- Located in an area supported by strong demographic growth projections and housing demand.
Résumé de l'annonce
Faits sur la propriété
1 Lot disponible
Lot
| Taille du lot | 7,32 AC |
| Taille du lot | 7,32 AC |
An exceptional development opportunity is now available in Southwest Fresno at the northeast corner of Brawley Avenue and California Avenue.
Description
Located just minutes from Downtown Fresno and with convenient access to Freeways 99 and 180, the property is surrounded by a mix of residential neighborhoods and commercial corridors. City of Fresno water and sewer infrastructure is within one mile of the site, ensuring utility feasibility for development. Street frontage along two major thoroughfares enhances the site's exposure to consistent traffic flow, promoting strong appeal for residential or mixed-use concepts. With projected population growth and strong demographics within a 10-mile radius, this location represents a significant opportunity for developers to capitalize on Fresno's expanding housing demand.
Impôts fonciers
| Numéro de lot | 326-220-18 | Évaluation des bâtiments | 0 $ CAD |
| Évaluation du terrain | 496 774 $ CAD | Évaluation totale | 496 774 $ CAD |
Impôts fonciers
Présenté par
S Brawley and W California Ave
Hmm, il semble y avoir eu une erreur lors de l’envoi de votre message. Veuillez réessayer.
Merci! Votre message a été envoyé.



