Se Connecter/S’inscrire
Votre courriel a été envoyé.
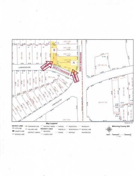
S Meridian Rd Lot • Terrain commercial • 0,66 Acres • Youngstown, OH 44511


Certaines informations ont été traduites automatiquement.
Faits saillants de l'investissement
- 0.66-acre corner lot at a five-street signalized intersection in Austintown Township.
- High-traffic location serving Boardman, Canfield, Austintown, and Youngstown markets.
- 155 feet of frontage on South Meridian Road and 230+ feet on Lynhaven.
- Nearby Walgreens and planned Sheetz gas station expected to boost traffic flow.
Résumé de l'annonce
This commercial corner lot offers a prime development opportunity in Cornersburg, located at the signalized intersection of five streets in Austintown Township. The site spans approximately 0.66 acres across three combined parcels, featuring 155 feet of frontage on South Meridian Road and over 230 feet of frontage on Lynhaven. Zoned for commercial use under codes 400 and 455, the property supports a wide range of retail and service-oriented businesses.
The location benefits from strong traffic counts and visibility, serving four major market areas: Boardman, Canfield, Austintown, and Youngstown. The intersection includes a plaza anchored by Sparkle Market, and nearby developments such as Walgreens and a planned Sheetz gas station are expected to further increase traffic flow and consumer activity.
Ingress and egress are available from both Meridian Road and Lynhaven, providing convenient access for future customers. The property is currently operating as a used car lot but is well-suited for multiple commercial uses, including fast food, urgent care, and other freestanding retail concepts. This site represents a rare opportunity to secure a high-exposure location in a growing corridor with strong demographic support.
The location benefits from strong traffic counts and visibility, serving four major market areas: Boardman, Canfield, Austintown, and Youngstown. The intersection includes a plaza anchored by Sparkle Market, and nearby developments such as Walgreens and a planned Sheetz gas station are expected to further increase traffic flow and consumer activity.
Ingress and egress are available from both Meridian Road and Lynhaven, providing convenient access for future customers. The property is currently operating as a used car lot but is well-suited for multiple commercial uses, including fast food, urgent care, and other freestanding retail concepts. This site represents a rare opportunity to secure a high-exposure location in a growing corridor with strong demographic support.
Faits sur la propriété
| Type de vente | Investissement | Sous-type de propriété | Terrain commercial |
| Nombre de lots | 1 | Utilisation proposée | |
| Type de propriété | Terrain | Taille totale du lot | 0,66 AC |
| Zonage | B-2 - General Business | ||
| Type de vente | Investissement |
| Nombre de lots | 1 |
| Type de propriété | Terrain |
| Sous-type de propriété | Terrain commercial |
| Utilisation proposée | |
| Taille totale du lot | 0,66 AC |
| Zonage | B-2 - General Business |
1 Lot disponible
Lot
| Taille du lot | 0,66 AC |
| Taille du lot | 0,66 AC |
Corner lot across from new Sheetz with high traffic and existing commercial building on site
1 1
Assez praticable à pied
40/100
Très facile d’accès en voiture
80/100
Transports en commun limités
30/100
Plutôt praticable en vélo
40/100
Impôts fonciers
| Numéros de lot | Évaluation des bâtiments | 12 760 $ CAD | |
| Évaluation du terrain | 65 564 $ CAD | Évaluation totale | 78 325 $ CAD |
Impôts fonciers
Numéros de lot
Évaluation du terrain
65 564 $ CAD
Évaluation des bâtiments
12 760 $ CAD
Évaluation totale
78 325 $ CAD
1 de 3
Vidéos
Visite extérieure 3D Matterport
Visite 3D Matterport
Photos
Vue depuis la rue
Rue
Carte
1 de 1
Présenté par
S Meridian Rd
Vous êtes déjà membre? Connectez-vous
Hmm, il semble y avoir eu une erreur lors de l’envoi de votre message. Veuillez réessayer.
Merci! Votre message a été envoyé.
