Se Connecter/S’inscrire
Votre courriel a été envoyé.
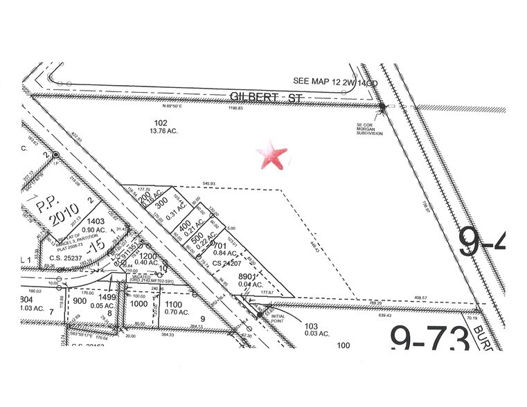
S Santiam Highway St - New Listing-Hwy 20 Frontage Lebanon Lot • Terrain commercial • 13,76 Acres • 2 333 832 $ CAD • Lebanon, OR 97355


Certaines informations ont été traduites automatiquement.
Faits saillants de l'investissement
- Route 20 Façade
- Situé dans une zone commerciale importante
- Près du campus de l'hôpital communautaire du Liban
- Points d'accès multiples
- Zonage à usages mixtes - Commercial/Multifamilial/Industriel
- Grande occasion de développement dans la croissance du Liban
Résumé de l'annonce
Occasion de développement avec façade de l'autoroute. Environ 13,76 acres zonés à usage mixte dans la ville de Lebanon, en pleine croissance, entourée d'un important développement commercial. Près du campus de l'hôpital communautaire du Liban, idéal pour les bâtiments commerciaux ou le développement multifamilial, le zonage offre de nombreuses possibilités !
Autoroute S. Santiam/autoroute 20, adjacente au supercentre Walmart du Liban.
Autoroute S. Santiam/autoroute 20, adjacente au supercentre Walmart du Liban.
Faits sur la propriété
1 Lot disponible
Lot 102
| Prix | 2 333 832 $ CAD | Taille du lot | 13,76 AC |
| Prix par AC | 169 609,86 $ CAD |
| Prix | 2 333 832 $ CAD |
| Prix par AC | 169 609,86 $ CAD |
| Taille du lot | 13,76 AC |
13,76 acres zonés à usage mixte pour un large éventail d'utilisations commerciales et résidentielles. Excellent emplacement côté sud avec accès depuis la rue Gilbert à l'ouest et le boulevard Burdell à l'est. La propriété est à plat ou de niveau avec tous les services publics de la propriété.
1 1
Assez practicable à pied
40/100
Exceptionnellement facile d'accès en voiture
100/100
Transports en commun limités
30/100
Plutôt praticable en vélo
40/100
Impôts fonciers
| Numéro de lot | 0761532 | Évaluation des bâtiments | 0 $ CAD |
| Évaluation du terrain | 463 835 $ CAD | Évaluation totale | 463 835 $ CAD |
Impôts fonciers
Numéro de lot
0761532
Évaluation du terrain
463 835 $ CAD
Évaluation des bâtiments
0 $ CAD
Évaluation totale
463 835 $ CAD
1 de 3
Vidéos
Visite extérieure 3D Matterport
Visite 3D Matterport
Photos
Vue depuis la rue
Rue
Carte
1 de 1
Présenté par
S Santiam Highway St - New Listing-Hwy 20 Frontage Lebanon
Vous êtes déjà membre? Connectez-vous
Hmm, il semble y avoir eu une erreur lors de l’envoi de votre message. Veuillez réessayer.
Merci! Votre message a été envoyé.
