Se Connecter/S’inscrire
Votre courriel a été envoyé.
SE Germann Rd & Gilbert Rd - Crossroads Towne Center PAD Lot • Terrain commercial • 3,31 Acres • Gilbert, AZ 85297

Certaines informations ont été traduites automatiquement.
Faits saillants de l'investissement
- BTS/GL Anchor Available (up to 25,000 SF)
- Top Tier Co-Tenancy Rounding Out the Power Center Intersection
- Average Household Income Over $140,000
- Strong Gilbert Growth Market
Faits sur la propriété En dépôt fiduciaire
| Type de vente | Investissement | Sous-type de propriété | Terrain commercial |
| Nombre de lots | 1 | Utilisation proposée | Commerce de détail |
| Type de propriété | Terrain | Taille totale du lot | 3,31 AC |
| Zonage | GC, Gilbert - GC, Commerce Général | ||
| Type de vente | Investissement |
| Nombre de lots | 1 |
| Type de propriété | Terrain |
| Sous-type de propriété | Terrain commercial |
| Utilisation proposée | Commerce de détail |
| Taille totale du lot | 3,31 AC |
| Zonage | GC, Gilbert - GC, Commerce Général |
1 Lot disponible
Lot
| Taille du lot | 3,31 AC |
| Taille du lot | 3,31 AC |
BTS/GL Anchor Available (up to 25,000 SF)
1 1
Assez practicable à pied
50/100
Exceptionnellement facile d'accès en voiture
100/100
Transports en commun limités
30/100
Plutôt praticable en vélo
50/100
Impôts fonciers
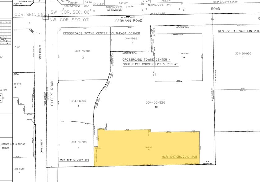
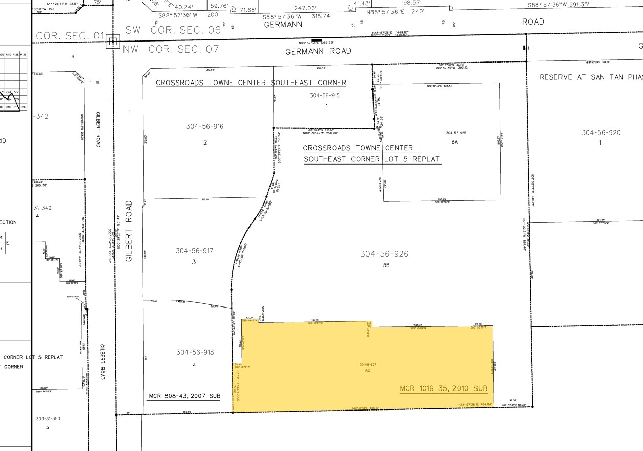
| Numéro de lot | 304-56-927 | Évaluation des bâtiments | 0 $ CAD |
| Évaluation du terrain | 0 $ CAD | Évaluation totale | 235 362 $ CAD |
Impôts fonciers
Numéro de lot
304-56-927
Évaluation du terrain
0 $ CAD
Évaluation des bâtiments
0 $ CAD
Évaluation totale
235 362 $ CAD
1 de 2
Vidéos
Visite extérieure 3D Matterport
Visite 3D Matterport
Photos
Vue depuis la rue
Rue
Carte
1 de 1
Présenté par
SE Germann Rd & Gilbert Rd - Crossroads Towne Center PAD
Vous êtes déjà membre? Connectez-vous
Hmm, il semble y avoir eu une erreur lors de l’envoi de votre message. Veuillez réessayer.
Merci! Votre message a été envoyé.
