Se Connecter/S’inscrire
Votre courriel a été envoyé.
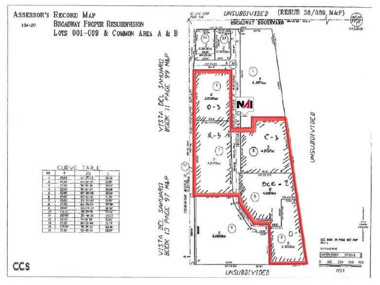
SEC Broadway Blvd & Prudence Rd - Raw Land Development/Investment Opportunity Lot • Terrain commercial • 18,94 Acres • 5 470 394 $ CAD • Tucson, AZ 85710



Certaines informations ont été traduites automatiquement.
FAITS SAILLANTS DE L'INVESTISSEMENT
- Site is divided by S Broadway Place (7.56 Acres on the west and 11.38 Acres on the east side)
- Site is located on the Broadway South Landfill
- Consent Decree Obtained
- Adjacent to Culver's Restaurant & Hilton Tucson East Hotel
- Geotech Report Completed 2022
- Environmental Reports Completed
RÉSUMÉ DE L'ANNONCE
Raw Land Development Opportunity | Office, Commercial, Self-Storage
FAITS SUR LA PROPRIÉTÉ
1 LOT DISPONIBLE
Lot
| Prix | 5 470 394 $ CAD | Taille du lot | 18,94 AC |
| Prix par AC | 288 827,58 $ CAD |
| Prix | 5 470 394 $ CAD |
| Prix par AC | 288 827,58 $ CAD |
| Taille du lot | 18,94 AC |
Bike Score®
Très cyclable (82)
Impôts fonciers
| Numéros de lot | Évaluation des bâtiments | 0 $ CAD | |
| Évaluation du terrain | 0 $ CAD | Évaluation totale | 17 893 $ CAD |
Impôts fonciers
Numéros de lot
Évaluation du terrain
0 $ CAD
Évaluation des bâtiments
0 $ CAD
Évaluation totale
17 893 $ CAD
1 de 4
VIDÉOS
VISITE EXTÉRIEURE 3D MATTERPORT
VISITE 3D MATTERPORT
PHOTOS
VUE DEPUIS LA RUE
RUE
CARTE
Présenté par
SEC Broadway Blvd & Prudence Rd - Raw Land Development/Investment Opportunity
Vous êtes déjà membre? Connectez-vous
Hmm, il semble y avoir eu une erreur lors de l’envoi de votre message. Veuillez réessayer.
Merci! Votre message a été envoyé.

