Votre courriel a été envoyé.
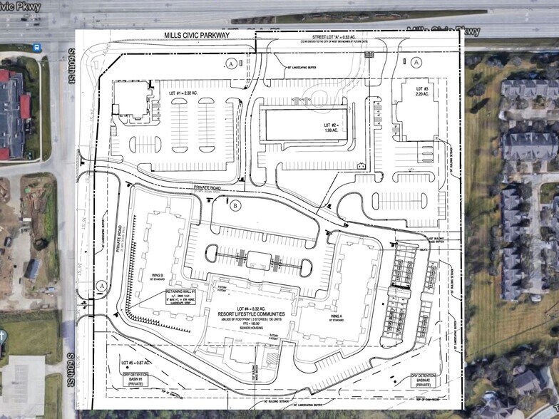
SEC S 60th St & Mills Civic Pkwy - Mills Landing Lots • Terrain commercial • 1,99-2,33 Acre • West Des Moines, IA 50266



Certaines informations ont été traduites automatiquement.
Faits saillants de l'investissement
- Traffic Counts: 115,800 VPD (Iowa DOT 2024).
Résumé de l'annonce
Faits sur la propriété
| Type de vente | Investissement | Sous-type de propriété | Terrain commercial |
| Nombre de lots | 3 | Taille totale du lot | 6,52 AC |
| Type de propriété | Terrain | ||
| Zonage | PUD - Planned Unit Development. | ||
| Type de vente | Investissement |
| Nombre de lots | 3 |
| Type de propriété | Terrain |
| Sous-type de propriété | Terrain commercial |
| Taille totale du lot | 6,52 AC |
| Zonage | PUD - Planned Unit Development. |
3 Lots disponibles
Lot 3
| Taille du lot | 2,20 AC |
| Taille du lot | 2,20 AC |
Terrain de développement privilégié avec façade le long de la promenade municipale Mills. Adjacent à la communauté de Glen Oaks et deviendra bientôt Glen Meadows Retirement Community.
Lot 2
| Taille du lot | 1,99 AC |
| Taille du lot | 1,99 AC |
Prime Development land with frontage along Mills Civic Parkway. Adjacent to Glen Oaks gated community and soon to be Glen Meadows Retirement Community.
Lot 1
| Taille du lot | 2,33 AC |
| Taille du lot | 2,33 AC |
Prime Development land with frontage along Mills Civic Parkway. Adjacent to Glen Oaks gated community and soon to be Glen Meadows Retirement Community.
Description
Prime Development land with frontage along Mills Civic Parkway. Adjacent to Glen Oaks gated community and soon to be Glen Meadows Retirement Community located in West Des Moines IA.
Présenté par
SEC S 60th St & Mills Civic Pkwy - Mills Landing
Hmm, il semble y avoir eu une erreur lors de l’envoi de votre message. Veuillez réessayer.
Merci! Votre message a été envoyé.

