Se Connecter/S’inscrire
Votre courriel a été envoyé.
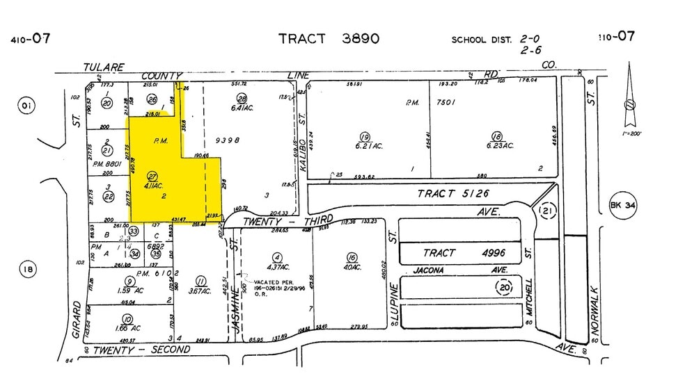
SEQ Girard and County Line Rd
Delano, CA 93215
Terrain À vendre
·
4,11 AC


Certaines informations ont été traduites automatiquement.
Résumé de l'annonce
4,11 acres à vendre ou à bail foncier.
Faits sur la propriété
| Type de vente | Investissement | Sous-type de propriété | Terrain commercial |
| Nombre de lots | 1 | Utilisation proposée | Commerce de détail |
| Type de propriété | Terrain | Taille totale du lot | 4,11 AC |
| Zonage | CRC - Commerce de détail | ||
| Type de vente | Investissement |
| Nombre de lots | 1 |
| Type de propriété | Terrain |
| Sous-type de propriété | Terrain commercial |
| Utilisation proposée | Commerce de détail |
| Taille totale du lot | 4,11 AC |
| Zonage | CRC - Commerce de détail |
1 Lot disponible
Lot
| Taille du lot | 4,11 AC |
| Taille du lot | 4,11 AC |
Impôts fonciers
| Numéro de lot | 410-070-27-00-9 | Évaluation des bâtiments | 0 $ CAD |
| Évaluation du terrain | 2 158 903 $ CAD | Évaluation totale | 2 158 903 $ CAD |
Impôts fonciers
Numéro de lot
410-070-27-00-9
Évaluation du terrain
2 158 903 $ CAD
Évaluation des bâtiments
0 $ CAD
Évaluation totale
2 158 903 $ CAD
1 de 3
Vidéos
Visite extérieure 3D Matterport
Visite 3D Matterport
Photos
Vue depuis la rue
Rue
Carte
