Votre courriel a été envoyé.
SR 310 & I 70 - Retail Pads 1-4 acres at I-70 & SR-310 Lot • Terrain commercial • 13,37 Acres • Etna, OH 43062



Certaines informations ont été traduites automatiquement.
FAITS SAILLANTS DE L'INVESTISSEMENT
- Tampons de vente au détail prêts pour le développement
- Tous les services publics jusqu'au site du boulevard Etna Crest
- Ouvert à l'examen de tous les concepts de développement et de vente au détail
- Coin nord-ouest visible des SR-310 et I-70
- Zonage de l'UGFP (projet d'aménagement à usages mixtes)
- Entouré d'un important développement dans une zone à forte croissance
RÉSUMÉ DE L'ANNONCE
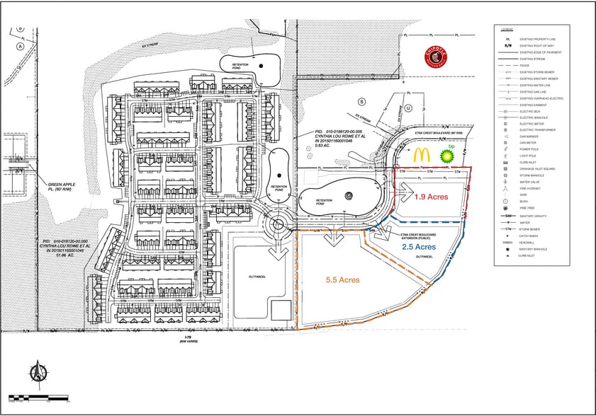
Ce coin du commerce de détail est une porte d'entrée vers la croissance, stimulée par la demande industrielle, Intel et Amazon. La propriété, d'une superficie de 13,37 acres, offre 9,9 acres de pavés de vente au détail, d'accueil ou de bureaux prêts à être pelletés à cet échangeur très achalandé dans le comté de Licking. La PMU est terminée au projet d'aménagement à usages mixtes planifiés de Farrow East - Etna. Le site est accessible par le boulevard Etna Crest et la première plateforme de plus de 1,5 acre est très visible depuis l'autoroute et les voisins McDonalds.
La planification de l'agrandissement du boulevard Etna Crest est terminée et les services publics sont prêts. Le prolongement sera relié au développement résidentiel à venir à l'ouest. Il y a un accès direct au site à partir de la lumière du boulevard Etna Crest, et le site se trouve à seulement deux milles du centre de distribution Amazon et à 6,5 milles du New Intel Development. L'échangeur récemment agrandi est entouré d'un important développement industriel dans l'ensemble de l'Etna Twp. Ouvert à l'examen de tous les concepts de développement et de vente au détail.
FAITS SUR LA PROPRIÉTÉ
1 LOT DISPONIBLE
Lot
| Taille du lot | 13,37 AC |
| Taille du lot | 13,37 AC |
Juste à côté de l'I-70, du côté ouest de la SR 310 et au nord de l'Interstate 70. Plusieurs options de comptoirs de vente au détail sont disponibles sur ce site de 13,37 acres. Terrain de développement privilégié à proximité du site de développement d'Intel et du centre industriel en pleine croissance de l'Etna.
DESCRIPTION
Site de vente au détail rare de 13 acres contigus au RT-310 et à l'I-70. En attente de l'utilisation idéale pour cette intersection menant au nord à Pataskla, New Albany, aux centres de distribution, à Google et à Intel. Site de vente au détail sur le côté ouest de la SR 310 et regardant le côté nord de l'Interstate 70. Nous pouvons faire plusieurs options de développement. Nous pouvons diviser les espaces de vente au détail avec les 13 acres autour d'une nouvelle route prévue pour 2024. Ce terrain de développement a franchi de nombreuses étapes avec le comté et est prêt à examiner des projets qui reconnaissent la proximité d'Intel, la croissance des entreprises et le carrefour industriel de l'Etna et de l'I-70. L'échangeur a récemment été élargi avec McDonalds, Chipotle, BP, vers le nord immédiat. Il s'agit du boulevard Etna Crest le long de l'entrée arrière de McDonalds. 18 milles à l'est du centre-ville de Columbus et 7 milles à l'est de Reynoldsburg, à la sortie de l'I-70. La région est la porte d'entrée sud de l'Etna, de Pataskala et de New Albany. Des options de 1 à 4 acres sont disponibles.
Impôts fonciers
| Numéro de lot | 010-017460-01.000 | Évaluation des bâtiments | 0 $ CAD |
| Évaluation du terrain | 1 207 878 $ CAD | Évaluation totale | 1 207 878 $ CAD |
Impôts fonciers
Présenté par
SR 310 & I 70 - Retail Pads 1-4 acres at I-70 & SR-310
Hmm, il semble y avoir eu une erreur lors de l’envoi de votre message. Veuillez réessayer.
Merci! Votre message a été envoyé.
