Se Connecter/S’inscrire
Votre courriel a été envoyé.
Highland E-Commerce Center SW 5th St & Central Ave 53 665 pi² 4-Étoile Industriel Immeuble Highland, CA 92346 À vendre


Certaines informations ont été traduites automatiquement.
Faits saillants de l'investissement
- Centrally located in one of the premier distribution markets in the country.
- 81 Miles from Ports of Los Angeles/Long Beach
- Corporate Neighbors include Amazon, Home Depot, Pepsi, USPS, Shopify, Burlington Coat Factory and Continental Tire.
Résumé de l'annonce
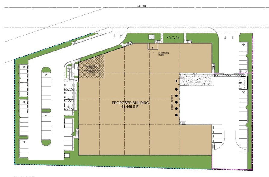
The Highland E-Commerce Center is a BTS ±53,665 square foot industrial facility designed to meet the needs of modern logistics and distribution operations. It features a ±4,000 square foot, two-story office space and offers a 32-foot clear height for optimized storage capacity. The building is equipped with five dock-high doors and one ground-level door, along with a 135-foot all-concrete truck court that ensures efficient vehicle maneuverability. Additional features include a 52' x 60' typical bay spacing layout, 3% skylights for natural lighting, an ESFR sprinkler system for fire safety, and 66 dedicated auto parking stalls. Strategically located in one of the premier distribution markets in the country, the property is surrounded by major corporate neighbors such as Amazon, Home Depot, Pepsi, USPS, Shopify, Burlington Coat Factory, and Continental Tire, enhancing its appeal as a central logistics hub.
Faits sur la propriété
| Type de vente | Investissement ou propriétaire utilisateur | Nombre d’étages | 1 |
| Type de propriété | Industriel | Année de construction | 2027 |
| Sous-type de propriété | Entrepôt | Location | Unique |
| Classe d’immeuble | A | Ratio de stationnement | 1,23/1 000 pi² |
| Taille du lot | 2,85 AC | Effacer hauteur du plafond | 32’ |
| État de la construction | Proposé | Nbre de quais à portes élevées/de chargement | 5 |
| Aire du bâtiment louable | 53 665 pi² | Nbre d’entrées dans les portes/au niveau du sol | 1 |
| Zonage | BP - Business Park | ||
| Type de vente | Investissement ou propriétaire utilisateur |
| Type de propriété | Industriel |
| Sous-type de propriété | Entrepôt |
| Classe d’immeuble | A |
| Taille du lot | 2,85 AC |
| État de la construction | Proposé |
| Aire du bâtiment louable | 53 665 pi² |
| Nombre d’étages | 1 |
| Année de construction | 2027 |
| Location | Unique |
| Ratio de stationnement | 1,23/1 000 pi² |
| Effacer hauteur du plafond | 32’ |
| Nbre de quais à portes élevées/de chargement | 5 |
| Nbre d’entrées dans les portes/au niveau du sol | 1 |
| Zonage | BP - Business Park |
Commodités
- Puits de lumière
1 1
Assez practicable à pied
40/100
Exceptionnellement facile d'accès en voiture
100/100
Transports en commun limités
30/100
Moyennement praticable en vélo
60/100
Impôts fonciers
| Numéros de lot | Évaluation des bâtiments | 279 038 $ CAD | |
| Évaluation du terrain | 3 298 377 $ CAD | Évaluation totale | 3 577 415 $ CAD |
Impôts fonciers
Numéros de lot
Évaluation du terrain
3 298 377 $ CAD
Évaluation des bâtiments
279 038 $ CAD
Évaluation totale
3 577 415 $ CAD
1 de 3
Vidéos
Visite extérieure 3D Matterport
Visite 3D Matterport
Photos
Vue depuis la rue
Rue
Carte
1 de 1
Présenté par
Highland E-Commerce Center | SW 5th St & Central Ave
Vous êtes déjà membre? Connectez-vous
Hmm, il semble y avoir eu une erreur lors de l’envoi de votre message. Veuillez réessayer.
Merci! Votre message a été envoyé.
