Se Connecter/S’inscrire
Votre courriel a été envoyé.
SWQ Henderson & Newcomb St - Lot A Lot • Terrain commercial • 0,45 Acres • Porterville, CA 93257



Certaines informations ont été traduites automatiquement.
Faits saillants de l'investissement
- Entouré d'une nouvelle résidence
- Opportunité de vente au détail : communauté en croissance
- Près de l'autoroute 65
Faits sur la propriété
| Type de vente | Propriétaire utilisateur | Sous-type de propriété | Terrain commercial |
| Nombre de lots | 1 | Utilisation proposée | Commerce de détail |
| Type de propriété | Terrain | Taille totale du lot | 0,45 AC |
| Zonage | CC - Commercial | ||
| Type de vente | Propriétaire utilisateur |
| Nombre de lots | 1 |
| Type de propriété | Terrain |
| Sous-type de propriété | Terrain commercial |
| Utilisation proposée | Commerce de détail |
| Taille totale du lot | 0,45 AC |
| Zonage | CC - Commercial |
1 Lot disponible
Lot
| Taille du lot | 0,45 AC |
| Taille du lot | 0,45 AC |
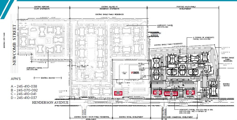
+/— 8 281 SF constructibles sur une superficie de 19 407 SF
Description
ESPACE DE VENTE AU DÉTAIL A : +/-8 281 SF Constructible sur une superficie de 19 407 SF B : +/-12 879 Tampon SF C : +/-3 200 SF Constructible sur une superficie de 22 957 terrains D : +/-3 200 SF Constructible sur une superficie de 14 322 terrains
1 1
Assez praticable à pied
40/100
Exceptionnellement facile d’accès en voiture
100/100
Transports en commun limités
30/100
Moyennement praticable en vélo
60/100
Impôts fonciers
| Numéro de lot | 245-410-039-000 | Évaluation des bâtiments | 0 $ CAD |
| Évaluation du terrain | 224 939 $ CAD | Évaluation totale | 224 939 $ CAD |
Impôts fonciers
Numéro de lot
245-410-039-000
Évaluation du terrain
224 939 $ CAD
Évaluation des bâtiments
0 $ CAD
Évaluation totale
224 939 $ CAD
1 de 4
Vidéos
Visite extérieure 3D Matterport
Visite 3D Matterport
Photos
Vue depuis la rue
Rue
Carte
1 de 1
Présenté par
SWQ Henderson & Newcomb St - Lot A
Vous êtes déjà membre? Connectez-vous
Hmm, il semble y avoir eu une erreur lors de l’envoi de votre message. Veuillez réessayer.
Merci! Votre message a été envoyé.
