Se Connecter/S’inscrire
Votre courriel a été envoyé.
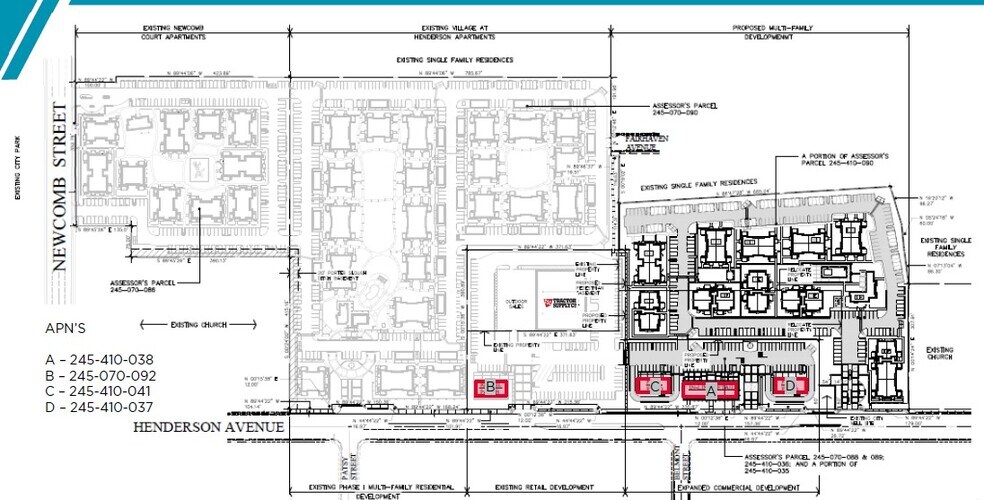
Lot B SWQ Henderson & Newcomb St Terrain à louer de 0,3 acres • Terrain commercial • Porterville, CA 93257



Certaines informations ont été traduites automatiquement.
Faits saillants
- Entouré d'une nouvelle résidence
- Possibilités de vente au détail dans une collectivité en croissance
- Près de l'autoroute 65
LOT Disponible
Afficher les taux de location en
| Taux de location |
|
Taille du lot | 0,30 AC |
| Durée du bail | Négociable |
| Taux de location | |
| Durée du bail | Négociable |
| Taille du lot | 0,30 AC |
Approximately 12,879 SF Pad Ground Lease
Aperçu de la propriété
ESPACE DE VENTE AU DÉTAIL A : +/-8 281 SF Constructible sur une superficie de 19 407 SF B : +/-12 879 Tampon SF C : +/— 3 200 SF Buildable22,957 Superficie des terres D : +/— 3 200 SF Constructible sur 14 322 Terres
Faits sur la propriété
| Superficie totale disponible | 0,30 AC | Sous-type de propriété | Terrain commercial |
| Type de propriété | Terrain | Utilisation proposée | Commerce de détail |
| Superficie totale disponible | 0,30 AC |
| Type de propriété | Terrain |
| Sous-type de propriété | Terrain commercial |
| Utilisation proposée | Commerce de détail |
1 1
Assez practicable à pied
40/100
Exceptionnellement facile d'accès en voiture
100/100
Transports en commun limités
30/100
Moyennement praticable en vélo
60/100
1 de 4
Vidéos
Visite extérieure 3D Matterport
Visite 3D Matterport
Photos
Vue depuis la rue
Rue
Carte
1 de 1
Présenté par
Lot B | SWQ Henderson & Newcomb St
Vous êtes déjà membre? Connectez-vous
Hmm, il semble y avoir eu une erreur lors de l’envoi de votre message. Veuillez réessayer.
Merci! Votre message a été envoyé.
