Se Connecter/S’inscrire
Votre courriel a été envoyé.
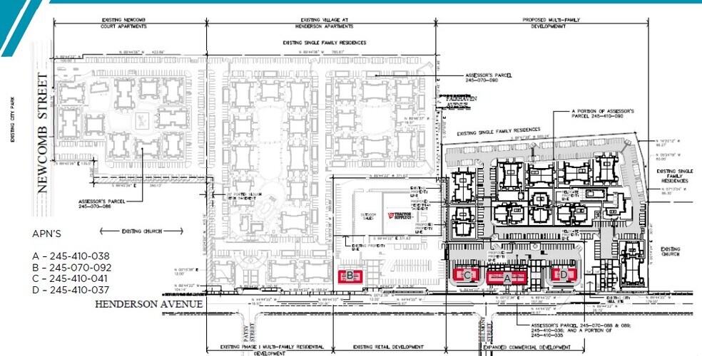
SWQ Henderson & Newcomb St
Porterville, CA 93257
Building C · Commerce de détail Propriété À louer
·
3 200 pi²


Certaines informations ont été traduites automatiquement.
Faits saillants
- Entouré d'une nouvelle résidence
- Possibilités de vente au détail dans une collectivité en croissance
- Près de l'autoroute 65
Faits sur la propriété
| Superficie totale disponible | 3 200 pi² | Superficie commerciale brute | 3 200 pi² |
| Type de propriété | Commerce de détail | Année de construction | 2027 |
| Sous-type de propriété | Restauration rapide | État de la construction | Proposé |
| Superficie totale disponible | 3 200 pi² |
| Type de propriété | Commerce de détail |
| Sous-type de propriété | Restauration rapide |
| Superficie commerciale brute | 3 200 pi² |
| Année de construction | 2027 |
| État de la construction | Proposé |
À propos de la propriété
ESPACE DE VENTE AU DÉTAIL A : +/-8 281 SF Constructible sur la superficie de +/-19 407 SF B : +/-12 879 Tampon SF C : +/-3 200 SF Constructible sur une superficie de 22 957 terrains D : +/-3 200 SF Constructible sur une superficie de 14 322 terrains
- Climatisation
1 de 4
Vidéos
Visite extérieure 3D Matterport
Visite 3D Matterport
Photos
Vue depuis la rue
Rue
Carte
