Votre courriel a été envoyé.
Shops at FM 544 SWQ of FM 544 and Sanden Blvd. 1 400–17 280 pi² d'espace disponible • Commerce de détail • Wylie, TX 75098



Certaines informations ont été traduites automatiquement.
Faits saillants
- Shops at FM 544 is a well-positioned retail opportunity located in the heart of Wylie, one of the Dallas metro’s fastest-growing suburban markets.
- Situated directly in front of La Quinta Inn and Holiday Inn Express, the center benefits from consistent local and commuter demand.
- The area is supported by robust demographics, with 85,266 residents within a 3-mile radius and an affluent average household income of $164,105.
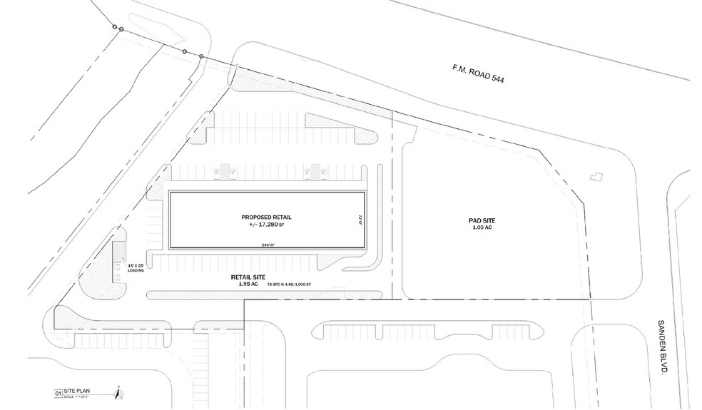
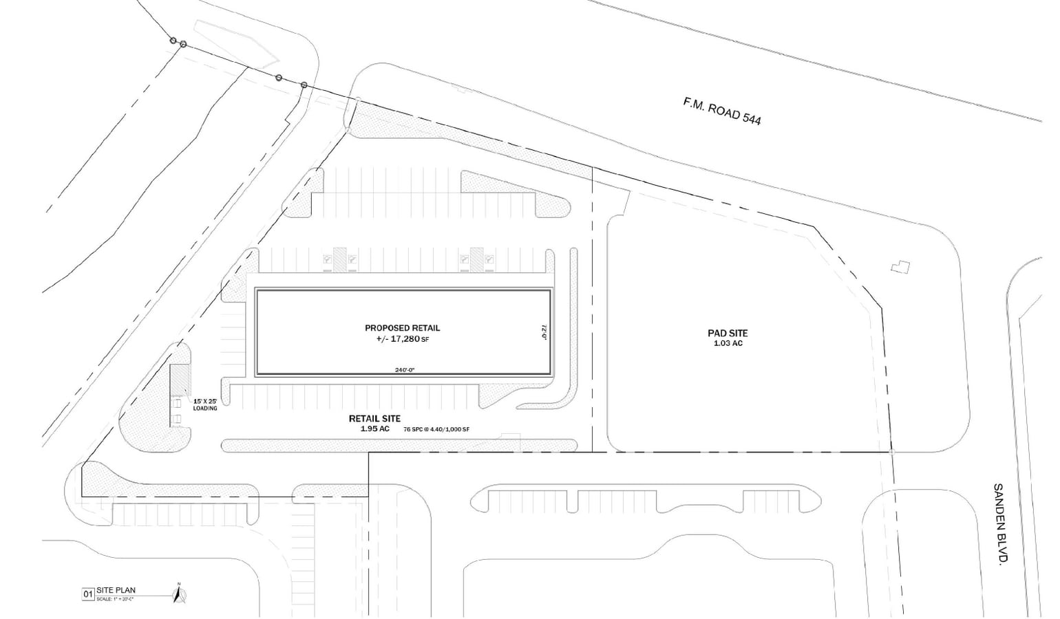
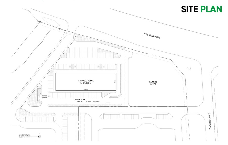
- The property features a highly visible pad site and retail strip space, strategically located at the intersection of FM 544 and Sanden.
- Located at the SWQ of FM 544 and Sanden, the site offers exceptional visibility with daily traffic counts exceeding 31,533 vehicles (TXDOT 2024).
- A daytime population of 35,269 provides strong support for daily retail activity, bolstered by the property’s proximity to high-demand generators.
Disponibilité de l’espace (1)
Afficher les taux de location en
- Espace
- Taille
- Terme
- Taux de location
- Type de loyer
| Espace | Taille | Terme | Taux de location | Type de loyer | ||
| 1er étage | 1 400 à 17 280 pi² | Négociable | Sur demande Sur demande Sur demande Sur demande | À déterminer |
1er étage
1,400-17,280 SF Retail Space.
Types de loyers
Le type et le montant du loyer que le locataire (preneur) est tenu de payer au propriétaire (bailleur) sur la durée du bail sont négociés avant la signature du bail par les deux parties. Le type de loyer varie selon les services fournis. Par exemple, le prix d’un loyer hypernet est habituellement inférieur à celui d’un bail à service complet puisque le locataire est tenu d’assumer des dépenses additionnelles par rapport au loyer de base. Contactez le courtier inscripteur pour tout connaître sur les frais connexes et additionnels associés à chaque type de loyer.
1. Service complet: Un taux de location qui comprend des services standards liés à l’immeuble fournis par le propriétaire dans le cadre d’une location annuelle de base.
2. Loyer supernet: Le locataire paie seulement deux des frais de l’immeuble. Le propriétaire et le locataire déterminent ces frais spécifiques avant la signature du bail.
3. Loyer hypernet: Un bail en vertu duquel le locataire est responsable de tous les frais liés à sa part proportionnelle d’occupation de l’immeuble.
4. Brut modifié: Le loyer brut modifié désigne un type général de taux de location dans lequel le locataire est habituellement responsable de sa part proportionnelle d’un ou de plusieurs frais. C’est le propriétaire qui paie les frais restants. Considérez les structures tarifaires courantes suivantes applicables aux loyers bruts modifiés: 4. Plus les services: Un type de bail brut modifié suivant lequel le locataire est responsable de sa part proportionnelle des coûts des services publics, en plus du loyer. 4. Plus le nettoyage: Un type de bail brut modifié suivant lequel le locataire est responsable de sa part proportionnelle des coûts de nettoyage, en plus du loyer. 4. Plus l'électricité: Un type de bail brut modifié suivant lequel le locataire est responsable de sa part proportionnelle des coûts d’électricité, en plus du loyer. 4. Plus l’électricité et le nettoyage: Un type de bail brut modifié dans lequel le locataire est responsable de sa part proportionnelle des coûts d’électricité et de nettoyage, en plus du loyer. 4. Plus les services publics et le nettoyage: Un type de bail brut modifié dans lequel le locataire est responsable de sa part proportionnelle des coûts des services publics et de nettoyage, en plus du loyer. 4. Bail industriel brut: Un type de bail brut modifié dans lequel le locataire paie un ou plusieurs des frais, en plus du loyer. Le propriétaire et le locataire déterminent ces frais spécifiques avant la signature du bail.
5. L’électricité est à la charge du locataire: Le propriétaire paie pour tous les services et le locataire est responsable de sa propre utilisation de l’éclairage et des prises électriques dans l’espace qu’il occupe.
6. Négociable ou sur demande: Cette option est utilisée lorsque le contact de location ne précise pas le type de loyer ou de service.
7. À déterminer: À déterminer ; utilisé pour les immeubles dont le type de services ou de loyer n’est pas connu, souvent quand l’immeuble n’est pas encore construit.
Faits sur la propriété
| Superficie totale disponible | 17 280 pi² | Superficie commerciale brute | 17 280 pi² |
| Min. divisible | 1 400 pi² | État de la construction | Proposé |
| Type de propriété | Commerce de détail |
| Superficie totale disponible | 17 280 pi² |
| Min. divisible | 1 400 pi² |
| Type de propriété | Commerce de détail |
| Superficie commerciale brute | 17 280 pi² |
| État de la construction | Proposé |
À propos de la propriété
1,400-17,280 SF of retail space.
Principaux détaillants à proximité
Présenté par
Shops at FM 544 | SWQ of FM 544 and Sanden Blvd.
Hmm, il semble y avoir eu une erreur lors de l’envoi de votre message. Veuillez réessayer.
Merci! Votre message a été envoyé.
