Votre courriel a été envoyé.
Sage St & Cajon Ave - Commercial Land Near Major Thoroughfares Lot • Terrain commercial • 0,56 Acres • 283 275 $ CAD • Victorville, CA 92392


Certaines informations ont été traduites automatiquement.
Faits saillants de l'investissement
- Terrain commercial d'angle
- Eau, égout ou électricité sur le site
Résumé de l'annonce
Faits sur la propriété
| Prix | 283 275 $ CAD | Sous-type de propriété | Terrain commercial |
| Type de vente | Investissement | Utilisation proposée | Commercial |
| Nombre de lots | 1 | Taille totale du lot | 0,56 AC |
| Type de propriété | Terrain | Zone de développement économique |
Oui
|
| Zonage | C2 - Centre d'affaires civique dans le cadre du plan spécifique au centre civique | ||
| Prix | 283 275 $ CAD |
| Type de vente | Investissement |
| Nombre de lots | 1 |
| Type de propriété | Terrain |
| Sous-type de propriété | Terrain commercial |
| Utilisation proposée | Commercial |
| Taille totale du lot | 0,56 AC |
| Zone de développement économique |
Oui |
| Zonage | C2 - Centre d'affaires civique dans le cadre du plan spécifique au centre civique |
1 Lot disponible
Lot
| Prix | 283 275 $ CAD | Taille du lot | 0,56 AC |
| Prix par AC | 502 261,17 $ CAD |
| Prix | 283 275 $ CAD |
| Prix par AC | 502 261,17 $ CAD |
| Taille du lot | 0,56 AC |
±0,56 acre de terres commerciales non améliorées
Description
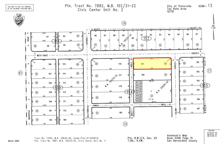
±0,56 acre de terrain commercial non amélioré à vendre au coin de la rue Sage et de l'avenue Cajon à Victorville ; APN : 0396-154-06. Centre d'affaires civique zoné dans le cadre du plan spécifique du centre civique, ce lot permettra le développement de bureaux professionnels et les utilisations connexes de vente au détail et de services desservant le gouvernement et les districts de service voisins. L'eau, les égouts et l'électricité sont tous sur le site. Cette propriété est située dans une zone d'opportunité économique qualifiée et peut être admissible à un traitement fiscal préférentiel. Les entreprises voisines comprennent l'hôtel de ville de Victorville, la Cour supérieure de Victorville, InterCon Security, le district de gestion de la qualité de l'air de Mojave Desert, le Woodall Group, et plus encore. L'acheteur doit vérifier tous les renseignements contenus dans le présent document. L'agent et ses représentants ne sont pas responsables de l'exactitude de ces allégations.
Impôts fonciers
| Numéro de lot | 0396-154-06 | Évaluation des bâtiments | 0 $ CAD |
| Évaluation du terrain | 265 285 $ CAD | Évaluation totale | 265 285 $ CAD |
Impôts fonciers
Présenté par
Sage St & Cajon Ave - Commercial Land Near Major Thoroughfares
Hmm, il semble y avoir eu une erreur lors de l’envoi de votre message. Veuillez réessayer.
Merci! Votre message a été envoyé.
