Se Connecter/S’inscrire
Votre courriel a été envoyé.
Certaines informations ont été traduites automatiquement.
Résumé de l'annonce
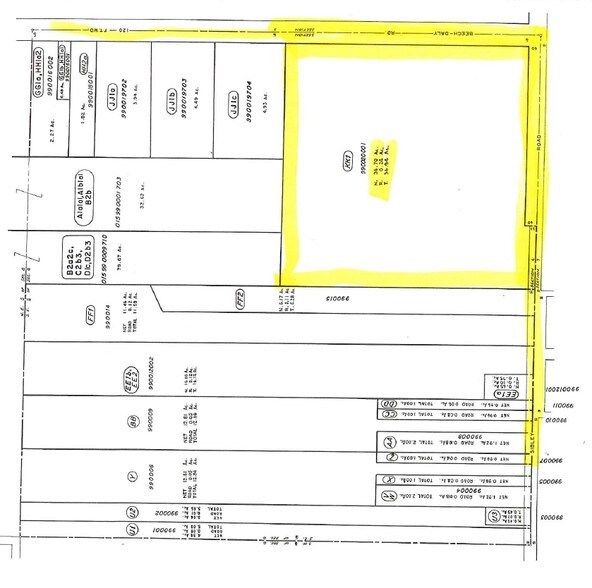
Grande parcelle, Services publics du côté ouest de Beech Daly. Du côté sud de Sibley, il y a un égout de 21 pouces et une conduite d'eau et de gaz de 12 pouces sur les deux routes. Prix réduit de 1 200 000$ en décembre 2017.
Faits sur la propriété
| Prix | 1 745 969 $ CAD | Sous-type de propriété | Résidentiel |
| Type de vente | Investissement | Utilisation proposée | Développement d’unités planifié |
| Nombre de lots | 1 | Taille totale du lot | 36,94 AC |
| Type de propriété | Terrain | ||
| Zonage | Residential | ||
| Prix | 1 745 969 $ CAD |
| Type de vente | Investissement |
| Nombre de lots | 1 |
| Type de propriété | Terrain |
| Sous-type de propriété | Résidentiel |
| Utilisation proposée | Développement d’unités planifié |
| Taille totale du lot | 36,94 AC |
| Zonage | Residential |
1 Lot disponible
Lot
| Prix | 1 745 969 $ CAD | Taille du lot | 36,94 AC |
| Prix par AC | 47 265,01 $ CAD |
| Prix | 1 745 969 $ CAD |
| Prix par AC | 47 265,01 $ CAD |
| Taille du lot | 36,94 AC |
• Great Parcel • Utilities on West Side of Beech Daly • South Side of Sibley has 21” Sewer and 12’ Water • Gas Service Line on Both Roads
Description
• Superbe terrain • Services publics du côté ouest de Beech Daly • Le côté sud de Sibley dispose d’un égout de 21 pouces et d’une conduite d’eau de 12 pieds • Ligne de service de gaz sur les deux routes
1 1
Plutôt praticable à pied
20/100
Exceptionnellement facile d’accès en voiture
100/100
Assez praticable en vélo
30/100
Impôts fonciers
| Numéro de lot | 70-018-99-0020-001 | Évaluation des bâtiments | 0 $ CAD |
| Évaluation du terrain | 0 $ CAD | Évaluation totale | 144 398 $ CAD |
Impôts fonciers
Numéro de lot
70-018-99-0020-001
Évaluation du terrain
0 $ CAD
Évaluation des bâtiments
0 $ CAD
Évaluation totale
144 398 $ CAD
1 de 3
Vidéos
Visite extérieure 3D Matterport
Visite 3D Matterport
Photos
Vue depuis la rue
Rue
Carte
1 de 1
Présenté par
Sibley Rd - Sibley Rd
Vous êtes déjà membre? Connectez-vous
Hmm, il semble y avoir eu une erreur lors de l’envoi de votre message. Veuillez réessayer.
Merci! Votre message a été envoyé.


