Votre courriel a été envoyé.
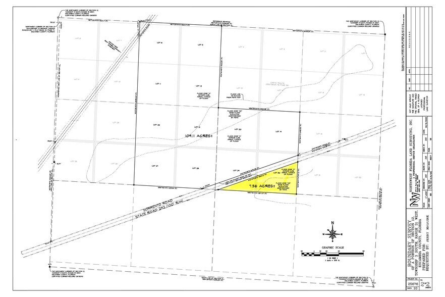
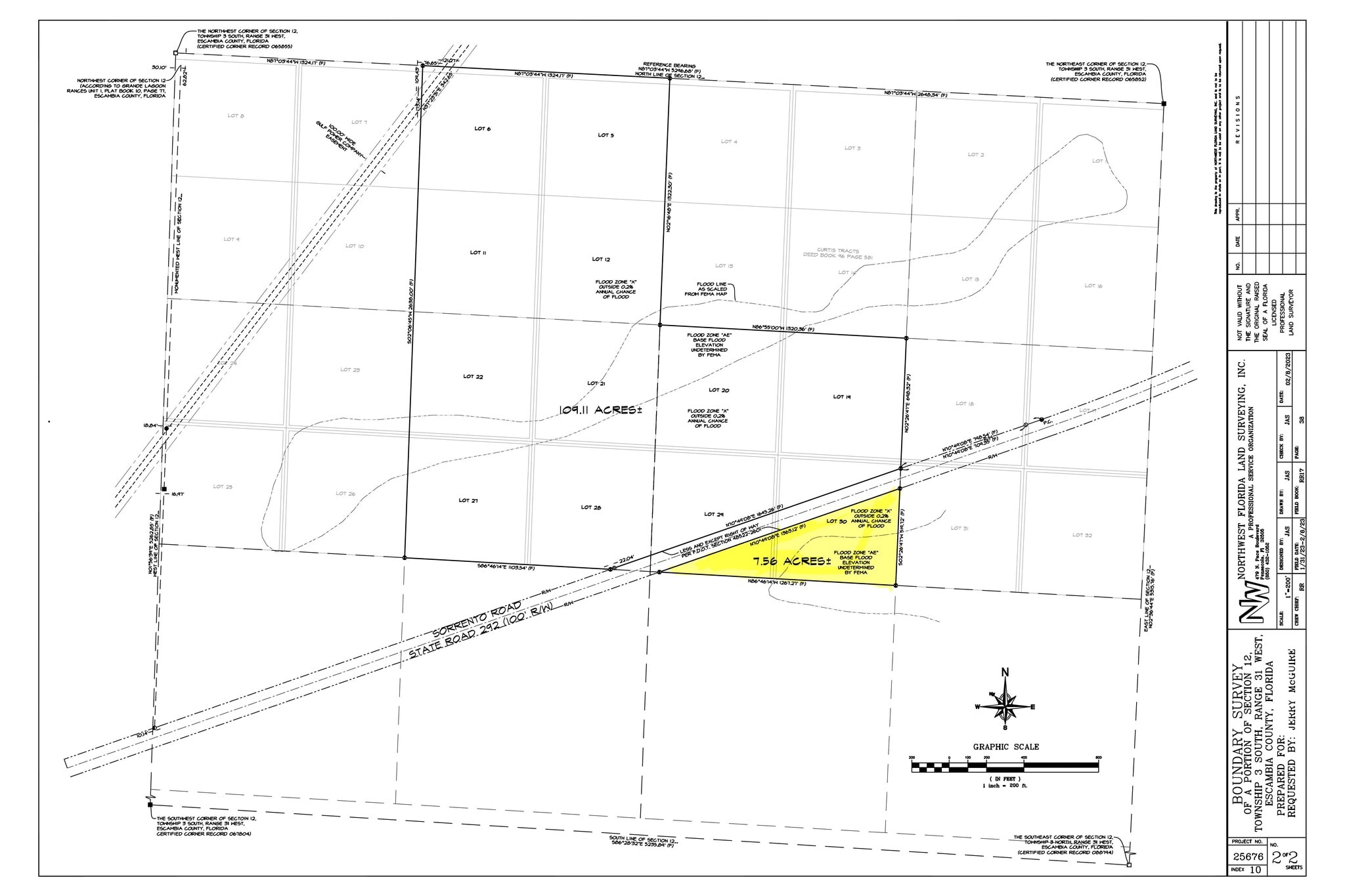
Sorrento Road - Sorrento Road, Pensacola, FL - 7.56 Acres Lot • Résidentiel • 7,56 Acres • 902 817 $ CAD • Pensacola, FL 32507

Certaines informations ont été traduites automatiquement.
FAITS SAILLANTS DE L'INVESTISSEMENT
- Over 7 acres of land located along high-traffic Sorrento Road in beautiful Pensacola, FL
- Excellent visibility and easy access to shopping, schools, beaches, and NAS Pensacola.
- Minutes from Perdido Key, Big Lagoon State Park, and downtown Pensacola.
RÉSUMÉ DE L'ANNONCE
FAITS SUR LA PROPRIÉTÉ
1 LOT DISPONIBLE
Lot
| Prix | 902 817 $ CAD | Taille du lot | 7,56 AC |
| Prix par AC | 119 420,30 $ CAD |
| Prix | 902 817 $ CAD |
| Prix par AC | 119 420,30 $ CAD |
| Taille du lot | 7,56 AC |
BEG AT INTER OF NLY R/W LI OF RD DESC IN OR 426 P 922 AND W LI OF SEC N ALG W LI OF SEC 957 8/10 FT TO SW COR OF LT 25 CURTIS TRACT E ALG S LI OF CURTIS TRACT 2339 98/100 FT TO A PT IN NLY R/W LI OF SD RD SWLY ALG SD NLY R/W LI TO POB LESS PORTION OF
DESCRIPTION
Plus de 7 acres de terrain situés le long de la très fréquentée Sorrento Road, dans la magnifique ville de Pensacola, en Floride. Zoné Résidentiel à Faible Densité (LDR), cette vaste propriété offre des opportunités dans une région en pleine croissance. Avec une excellente visibilité et un accès facile aux commerces, écoles, plages et à la base navale NAS Pensacola. À quelques minutes de Perdido Key, du parc d'État Big Lagoon et du centre-ville de Pensacola. ** Cette annonce inclut uniquement les 7+ acres situés du côté sud de Sorrento Road – les 100+ acres du côté nord ne sont pas inclus. ** Cette propriété se trouve dans le district de planification d'influence aérienne AIPD-2 de NAS Pensacola.
Présenté par
Sorrento Road - Sorrento Road, Pensacola, FL - 7.56 Acres
Hmm, il semble y avoir eu une erreur lors de l’envoi de votre message. Veuillez réessayer.
Merci! Votre message a été envoyé.
