Se Connecter/S’inscrire
Votre courriel a été envoyé.
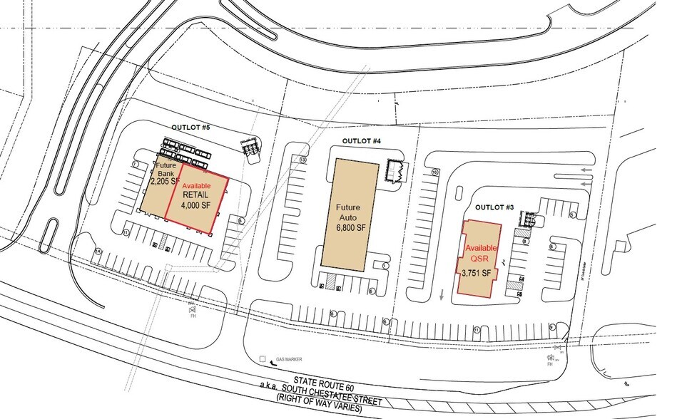
South Chestatee Publix Outlot 3 South Chestatee st Terrain à louer de 1,72 acres • Terrain commercial • Dahlonega, GA 30533



Certaines informations ont été traduites automatiquement.
FAITS SAILLANTS
- Drive-Thu
- Parcelle Publix
LOT Disponible
Afficher les taux de location en
| Taux de location |
|
Taille du lot | 1,72 AC |
| Durée du bail | Négociable |
| Taux de location | |
| Durée du bail | Négociable |
| Taille du lot | 1,72 AC |
Easily accessible along South Chestatee (SR 60) and Longbranch Road at the GA 400 (20,300 AADT) Intersection in Dahlonega a quickly growing retail and medical corridor
APERÇU DE LA PROPRIÉTÉ
Bail foncier de 1,723 acre — Outparcel Publix disponible avec Drive-Thu
FAITS SUR LA PROPRIÉTÉ
1 de 5
VIDÉOS
VISITE EXTÉRIEURE 3D MATTERPORT
VISITE 3D MATTERPORT
PHOTOS
VUE DEPUIS LA RUE
RUE
CARTE
Présenté par
South Chestatee Publix Outlot 3 | South Chestatee st
Vous êtes déjà membre? Connectez-vous
Hmm, il semble y avoir eu une erreur lors de l’envoi de votre message. Veuillez réessayer.
Merci! Votre message a été envoyé.

