Se Connecter/S’inscrire
Votre courriel a été envoyé.
South Loop 336 East - 3301 South Loop 336 East - Conroe, TX 77301 Lot • Terrain commercial • 15 Acres • 5 681 641 $ CAD • Conroe, TX 77301



Certaines informations ont été traduites automatiquement.
Faits saillants de l'investissement
- Located in a high traffic area
- Area ideal for Single Family Residential/Commercial/Multifamily
Résumé de l'annonce
15 ACRES
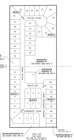
Approved and Permitted with the City of Conroe , a Single Family 54 Lot Residential Development
Perfect for 55+ Community or Luxury Homes
Owner has bid out in early 2025 for Paving & Utilities
Civil Plans have been approved
Preliminary Plat has been approved
Property is located in the City of Conroe
Property has been annexed into MUD 142
Reimbursables are available through MUD 142
Loop 336 is a high traffic area
Loop 336 is being expanded to 4 lanes from I45 to FM1314
There are several existing & active Single Family communities within 2 miles of the Property
Approved and Permitted with the City of Conroe , a Single Family 54 Lot Residential Development
Perfect for 55+ Community or Luxury Homes
Owner has bid out in early 2025 for Paving & Utilities
Civil Plans have been approved
Preliminary Plat has been approved
Property is located in the City of Conroe
Property has been annexed into MUD 142
Reimbursables are available through MUD 142
Loop 336 is a high traffic area
Loop 336 is being expanded to 4 lanes from I45 to FM1314
There are several existing & active Single Family communities within 2 miles of the Property
Faits sur la propriété
1 Lot disponible
Lot
| Prix | 5 681 641 $ CAD | Taille du lot | 15,00 AC |
| Prix par AC | 378 776,05 $ CAD |
| Prix | 5 681 641 $ CAD |
| Prix par AC | 378 776,05 $ CAD |
| Taille du lot | 15,00 AC |
15 ACRES Approved and Permitted with the City of Conroe , a Single Family 54 Lot Residential Development Property is located East of and Adjacent to Refuge Church The address for the church is 3273 South Loop 336 East Conroe, Texas 77301
Description
15 Acre Unrestricted Reserve Currently approved for a 54 unit SF Residential Community Tract is Heavily Wooded No Floor Plain A small creek traverse the Property
1 de 7
Vidéos
Visite extérieure 3D Matterport
Visite 3D Matterport
Photos
Vue depuis la rue
Rue
Carte
Présenté par
Nexthome Centurion Realty
South Loop 336 East - 3301 South Loop 336 East - Conroe, TX 77301
Vous êtes déjà membre? Connectez-vous
Hmm, il semble y avoir eu une erreur lors de l’envoi de votre message. Veuillez réessayer.
Merci! Votre message a été envoyé.

