Se Connecter/S’inscrire
Votre courriel a été envoyé.
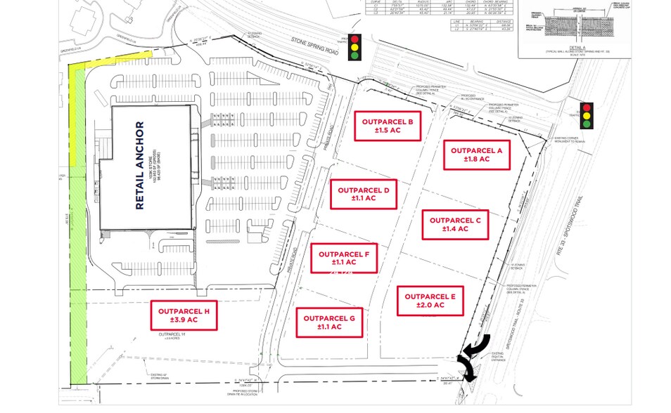
Preston Lake Marketplace Outparcel B Spotswood Trail & Stone Spring Road Terrain à louer de 1,5 acres • Terrain commercial • Harrisonburg, VA 22801



Certaines informations ont été traduites automatiquement.
FAITS SAILLANTS
- Le projet comprendra des trottoirs et des espaces de rassemblement communautaire, ainsi que des allées et de nombreux sièges extérieurs
- Proximité du centre de villégiature Massanutten — une unité de 2 600, aménagement d'un centre de villégiature 4 saisons
- Accès et visibilité exceptionnels depuis le sentier Spotswood (route 33) et le chemin Stone Spring
LOT Disponible
Afficher les taux de location en
| Taux de location |
|
Taille du lot | 1,50 AC |
| Durée du bail | Négociable |
| Taux de location | |
| Durée du bail | Négociable |
| Taille du lot | 1,50 AC |
APERÇU DE LA PROPRIÉTÉ
Nouveau développement commercial à l'entrée de Preston Lake — un quartier résidentiel planifié par le directeur de 760 unités.
FAITS SUR LA PROPRIÉTÉ
| Superficie totale disponible | 1,50 AC | Sous-type de propriété | Terrain commercial |
| Type de propriété | Terrain | Utilisation proposée | Commercial |
| Superficie totale disponible | 1,50 AC |
| Type de propriété | Terrain |
| Sous-type de propriété | Terrain commercial |
| Utilisation proposée | Commercial |
1 1
1 de 4
VIDÉOS
VISITE EXTÉRIEURE 3D MATTERPORT
VISITE 3D MATTERPORT
PHOTOS
VUE DEPUIS LA RUE
RUE
CARTE
1 de 1
Présenté par
Preston Lake Marketplace Outparcel B | Spotswood Trail & Stone Spring Road
Vous êtes déjà membre? Connectez-vous
Hmm, il semble y avoir eu une erreur lors de l’envoi de votre message. Veuillez réessayer.
Merci! Votre message a été envoyé.
