Votre courriel a été envoyé.
Preston Lake Marketplace - Parcel D Spotswood Trail & Stone Spring Road Terrain à louer de 1,1 acres • Terrain commercial • Harrisonburg, VA 22801

Certaines informations ont été traduites automatiquement.
Faits saillants
- Project will feature sidewalks and community gathering spaces as well as drive thrus and plentiful outdoor seating
- Close proximity to Massanutten Resort – a 2,600 unit, 4 season resort development
- Outstanding access and visibility from both Spotswood Trail (Route 33) and Stone Spring Rd
LOT Disponible
Afficher les taux de location en
| Taux de location |
|
Taille du lot | 1,10 AC |
| Durée du bail | Négociable |
| Taux de location | |
| Durée du bail | Négociable |
| Taille du lot | 1,10 AC |
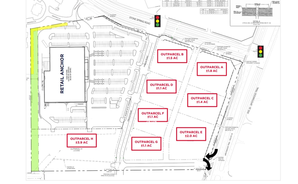
The site is anchored by a 99,000 SF grocery store and features eight outparcels available for ground lease or build-to-suit, ranging from ±0.87 acres to ±2.54 acres.
Aperçu de la propriété
Preston Lake Grocery Anchored Development presents an exceptional retail leasing opportunity in Harrisonburg, Virginia, one of the Shenandoah Valley’s fastest-growing markets. Strategically located along Spotswood Trail with signalized access from both Spotswood Trail and Stone Spring Road, this development offers outstanding visibility and accessibility to a strong consumer base. The site is anchored by a 99,000 SF grocery store and features eight outparcels available for ground lease or build-to-suit, ranging from ±0.87 acres to ±2.54 acres. The property is situated within Preston Lake, a 760-unit master-planned residential community, and is surrounded by additional residential developments including Crossroad Farms, Sunny Side, and Lakewood, collectively adding thousands of households within minutes. The highly amenitized environment includes sidewalks, open spaces, landscaped buffers, and outdoor seating areas, creating an inviting retail destination. Drive-thru uses are permitted by right, making this an ideal location for quick-service restaurants, banks, and other convenience-oriented retailers. Demand drivers in the immediate area include James Madison University with over 21,000 students, Sentara RMH Medical Center with 238 beds, and Massanutten Resort, a 2,600-unit four-season destination. Additionally, Merck’s $5 billion pharmaceutical expansion further strengthens the local economy. The site is just 2.5 miles from JMU and benefits from traffic counts of 33,000 VPD on Spotswood Trail and 28,000 VPD on Port Republic Road. This is a prime opportunity for retailers seeking a high-growth, high-visibility location in a thriving market.
Faits sur la propriété
Présenté par
Preston Lake Marketplace - Parcel D | Spotswood Trail & Stone Spring Road
Hmm, il semble y avoir eu une erreur lors de l’envoi de votre message. Veuillez réessayer.
Merci! Votre message a été envoyé.
