Se Connecter/S’inscrire
Votre courriel a été envoyé.
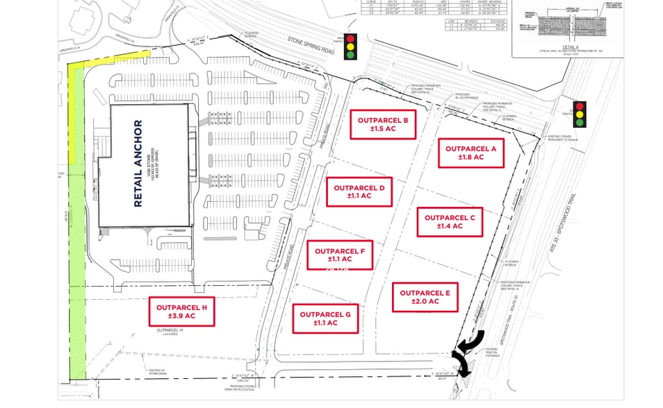
Spotswood Trail & Stone Springs Road
Harrisonburg, VA 22801
Preston Lake Marketplace Outparcel F · Terrain À louer


Certaines informations ont été traduites automatiquement.
FAITS SAILLANTS
- Project will feature sidewalks and community gathering spaces as well as drive thrus and plentiful outdoor seating
- Close proximity to Massanutten Resort – a 2,600 unit, 4 season resort development
- Outstanding access and visibility from both Spotswood Trail (Route 33) and Stone Spring Rd
APERÇU DE LA PROPRIÉTÉ
New Retail Development at entrance into Preston Lake – a 760 unit master planned residential community.
FAITS SUR LA PROPRIÉTÉ
| Superficie totale disponible | 1,10 AC | Sous-type de propriété | Terrain commercial |
| Type de propriété | Terrain | Utilisation proposée | Commercial |
| Superficie totale disponible | 1,10 AC |
| Type de propriété | Terrain |
| Sous-type de propriété | Terrain commercial |
| Utilisation proposée | Commercial |
1 de 4
VIDÉOS
VISITE EXTÉRIEURE 3D MATTERPORT
VISITE 3D MATTERPORT
PHOTOS
VUE DEPUIS LA RUE
RUE
CARTE
