Se Connecter/S’inscrire
Votre courriel a été envoyé.
Springfield Ter - Development Site Lot • Résidentiel • 1,2 Acres • 745 453 $ CAD • Arbroath DD11 1EL

Certaines informations ont été traduites automatiquement.
Faits saillants de l'investissement
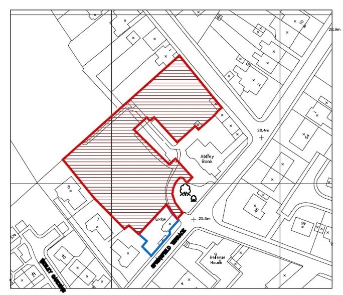
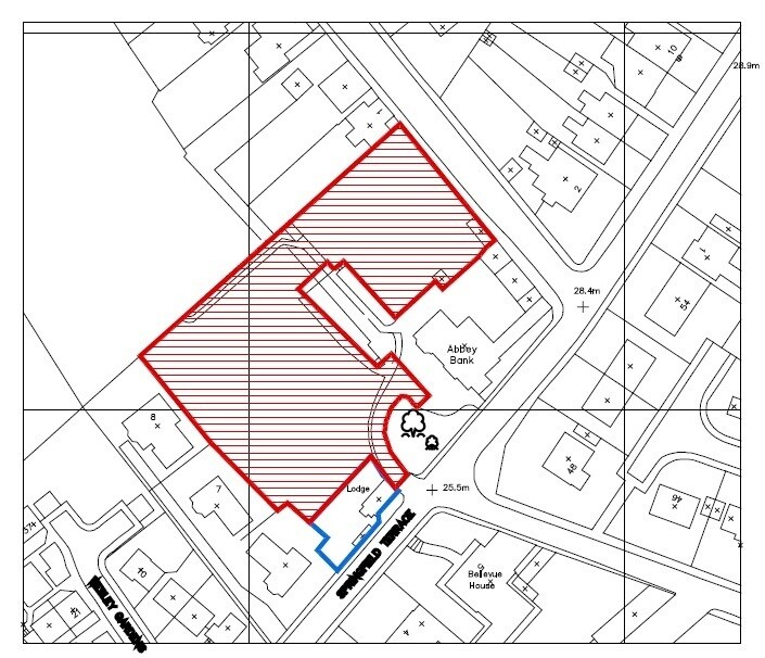
- Comprise former Garden Ground for the Abbey Bank House.
- Surrounding properties comprise a mix of residential dwellings.
- Detailed planning consent - 9 units.
- Site extends to 1.2 acres.
- Established residential location.
- Available in part or whole.
Résumé de l'annonce
Les sujets sont disponibles à la vente avec des offres de plus de 400 000£ invitées.
Faits sur la propriété
| Prix | 745 453 $ CAD | Type de propriété | Terrain |
| Type de vente | Investissement | Sous-type de propriété | Résidentiel |
| Ancienneté | Pleine propriété | Taille totale du lot | 1,20 AC |
| Nombre de lots | 1 |
| Prix | 745 453 $ CAD |
| Type de vente | Investissement |
| Ancienneté | Pleine propriété |
| Nombre de lots | 1 |
| Type de propriété | Terrain |
| Sous-type de propriété | Résidentiel |
| Taille totale du lot | 1,20 AC |
1 Lot disponible
Lot
| Prix | 745 453 $ CAD | Taille du lot | 1,20 AC |
| Prix par AC | 621 210,59 $ CAD |
| Prix | 745 453 $ CAD |
| Prix par AC | 621 210,59 $ CAD |
| Taille du lot | 1,20 AC |
Le site s'étend sur 1,2 acre ou ainsi et comprend le pavillon abandonné, situé à l'entrée de Springfield Terrace.
Description
Le site comprend des terres à des fins d'aménagement s'étendant jusqu'à 1,2 acre.
1 1
1 de 2
Vidéos
Visite extérieure 3D Matterport
Visite 3D Matterport
Photos
Vue depuis la rue
Rue
Carte
1 de 1
Présenté par
Springfield Ter - Development Site
Vous êtes déjà membre? Connectez-vous
Hmm, il semble y avoir eu une erreur lors de l’envoi de votre message. Veuillez réessayer.
Merci! Votre message a été envoyé.
