Se Connecter/S’inscrire
Votre courriel a été envoyé.
Certaines informations ont été traduites automatiquement.
RÉSUMÉ DE L'ANNONCE
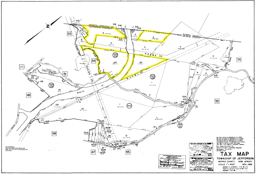
Quatre parcelles de terrain vacant
Lot 1.07/Bloc 320.04 : 41.989 Acres
Lot 1.01/Bloc 320.05 : 22.168 Acres
Lot 2/Bloc 320.04 : 20.095 Acres
Lot 4/Bloc 320.05 : 13.563 Acres
Zonage : Conversion rurale
Utilisations permises
- Logements unifamiliaux individuels
- Fermes comptant au moins cinq acres
- Parcs
Accès facile à :
- Route 80 de l'Interstate
- Route 15
Lot 1.07/Bloc 320.04 : 41.989 Acres
Lot 1.01/Bloc 320.05 : 22.168 Acres
Lot 2/Bloc 320.04 : 20.095 Acres
Lot 4/Bloc 320.05 : 13.563 Acres
Zonage : Conversion rurale
Utilisations permises
- Logements unifamiliaux individuels
- Fermes comptant au moins cinq acres
- Parcs
Accès facile à :
- Route 80 de l'Interstate
- Route 15
FAITS SUR LA PROPRIÉTÉ
| Type de vente | Investissement | Sous-type de propriété | Résidentiel |
| Nombre de lots | 1 | Utilisation proposée | |
| Type de propriété | Terrain | Taille totale du lot | 97,81 AC |
| Zonage | Rural Conversion | ||
| Type de vente | Investissement |
| Nombre de lots | 1 |
| Type de propriété | Terrain |
| Sous-type de propriété | Résidentiel |
| Utilisation proposée | |
| Taille totale du lot | 97,81 AC |
| Zonage | Rural Conversion |
1 LOT DISPONIBLE
Lot 1
| Taille du lot | 97,81 AC |
| Taille du lot | 97,81 AC |
Lot 1.07/Bloc 320.04 : 41.989 Acres Lot 1.01/Bloc 320.05 : 22.168 Acres Lot 2/Bloc 320.04 : 20.095 Acres Lot 4/Bloc 320.05 : 13.563 Acres
1 1
1 de 4
VIDÉOS
VISITE EXTÉRIEURE 3D MATTERPORT
VISITE 3D MATTERPORT
PHOTOS
VUE DEPUIS LA RUE
RUE
CARTE
1 de 1
Présenté par
State Route 15 N - 4 Parcels Vacant Land
Vous êtes déjà membre? Connectez-vous
Hmm, il semble y avoir eu une erreur lors de l’envoi de votre message. Veuillez réessayer.
Merci! Votre message a été envoyé.



