Se Connecter/S’inscrire
Votre courriel a été envoyé.
State Route 212 Lot • Terrain commercial • 0,75 Acres • 205 320 $ CAD • Bolivar, OH 44612



Certaines informations ont été traduites automatiquement.
Faits saillants de l'investissement
- Excellente exposition avec plus de 550 façades sur la route nationale 212
- Accès facile au I-77
Résumé de l'annonce
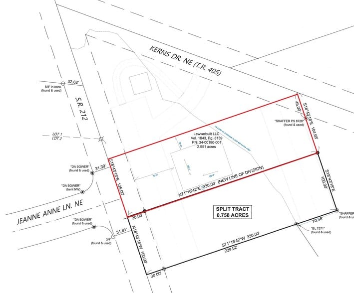
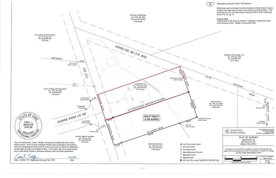
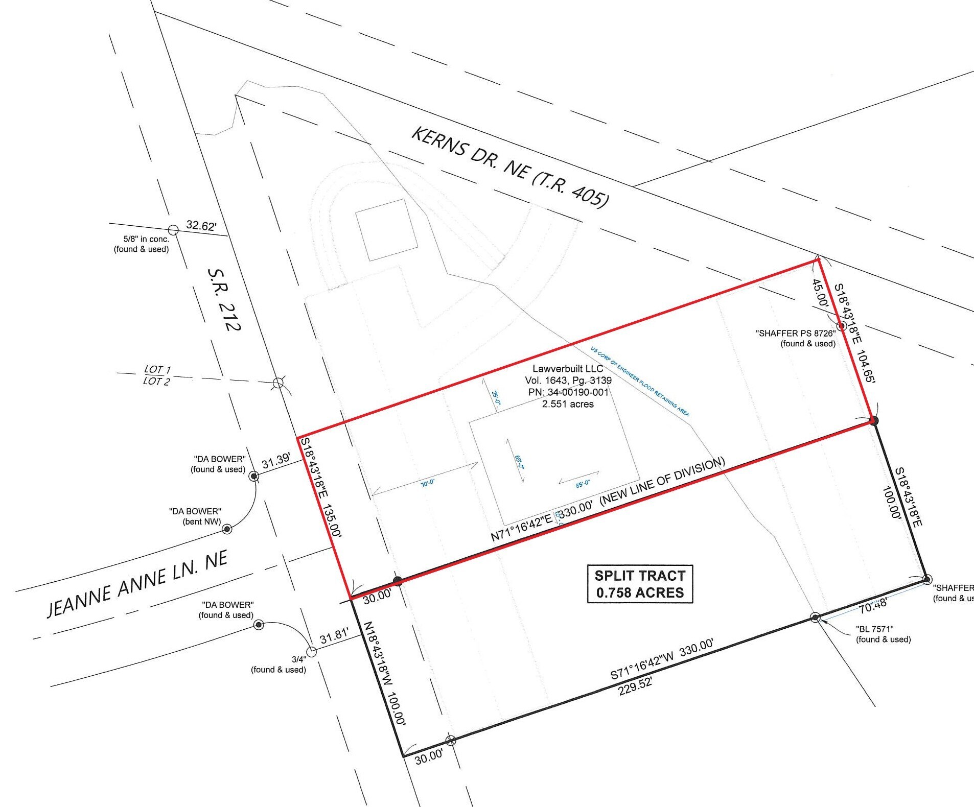
Possibilité commerciale. Excellente exposition avec plus de 550 pi de façade sur la State Route 212 et Kerns Drive. Terrain d'angle de 1,1+/- acre. Accès facile à l'I-77. Terrain supplémentaire disponible, voir mls #4441879 ou 4441882. Eau du comté de Tuscaraas dans la rue. Les frais de robinet de 2023 commencent à 1 900$, selon la taille du compteur. Il faudrait étendre l'égout du comté de Tuscaraas jusqu'à la propriété.
Faits sur la propriété
1 Lot disponible
Lot 1
| Prix | 205 320 $ CAD | Taille du lot | 0,75 AC |
| Prix par AC | 273 759,37 $ CAD |
| Prix | 205 320 $ CAD |
| Prix par AC | 273 759,37 $ CAD |
| Taille du lot | 0,75 AC |
Commercial opportunity. Excellent exposure with 100' of road frontage on State Route 212. .758+/- acre lot. Easy access to I-77. Access off Kerns Drive NE. Tuscarawas County water at the street. 2023 tap fees begin at $1,900 depending on meter size.
1 1
Plutôt praticable à pied
30/100
Exceptionnellement facile d’accès en voiture
100/100
Assez praticable en vélo
20/100
Impôts fonciers
| Numéro de lot | 3400190001 | Évaluation des bâtiments | 0 $ CAD |
| Évaluation du terrain | 16 880 $ CAD | Évaluation totale | 16 880 $ CAD |
Impôts fonciers
Numéro de lot
3400190001
Évaluation du terrain
16 880 $ CAD
Évaluation des bâtiments
0 $ CAD
Évaluation totale
16 880 $ CAD
1 de 4
Vidéos
Visite extérieure 3D Matterport
Visite 3D Matterport
Photos
Vue depuis la rue
Rue
Carte
1 de 1
Présenté par
State Route 212
Vous êtes déjà membre? Connectez-vous
Hmm, il semble y avoir eu une erreur lors de l’envoi de votre message. Veuillez réessayer.
Merci! Votre message a été envoyé.
