Se Connecter/S’inscrire
Votre courriel a été envoyé.
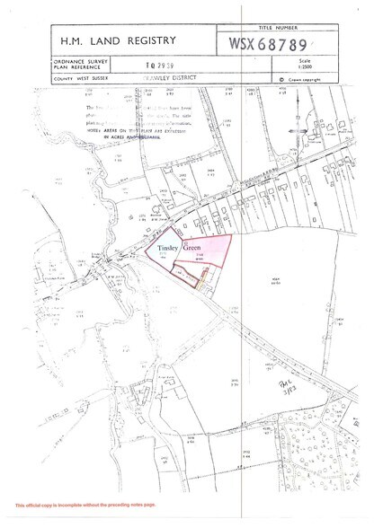
Steers Ln Lot • Terrain commercial • 1,9 Acres • 604 609 $ CAD • Crawley RH10 3NP

Certaines informations ont été traduites automatiquement.
Faits saillants de l'investissement
- Le site est situé à proximité de la M23
- Considéré comme convenable pour d'autres utilisations
Résumé de l'annonce
Le terrain est disponible soit dans son ensemble, soit sous forme de lots individuels, au moyen d'une vente de l'intérêt en pleine propriété. Offres dans la région de 325 000£
Faits sur la propriété
| Prix | 604 609 $ CAD | Type de propriété | Terrain |
| Type de vente | Investissement | Sous-type de propriété | Terrain commercial |
| Ancienneté | Pleine propriété | Taille totale du lot | 1,90 AC |
| Nombre de lots | 1 |
| Prix | 604 609 $ CAD |
| Type de vente | Investissement |
| Ancienneté | Pleine propriété |
| Nombre de lots | 1 |
| Type de propriété | Terrain |
| Sous-type de propriété | Terrain commercial |
| Taille totale du lot | 1,90 AC |
1 Lot disponible
Lot
| Prix | 604 609 $ CAD | Taille du lot | 1,90 AC |
| Prix par AC | 318 215,27 $ CAD |
| Prix | 604 609 $ CAD |
| Prix par AC | 318 215,27 $ CAD |
| Taille du lot | 1,90 AC |
Le site offre actuellement des terres de pâturage et des boisés, mais il est considéré comme convenable pour d'autres utilisations, sous réserve de la réception d'un consentement à la planification.
Description
Le site est situé au nord-est de Steers Lane, à Tinsley Green, en banlieue de Crawley. Le site est idéalement situé près de la M23, et l'aéroport de Gatwick est situé à environ 3 milles au sud-ouest.
1 1
1 de 2
Vidéos
Visite extérieure 3D Matterport
Visite 3D Matterport
Photos
Vue depuis la rue
Rue
Carte
1 de 1
Présenté par
Steers Ln
Vous êtes déjà membre? Connectez-vous
Hmm, il semble y avoir eu une erreur lors de l’envoi de votre message. Veuillez réessayer.
Merci! Votre message a été envoyé.
