Votre courriel a été envoyé.
Certaines informations ont été traduites automatiquement.
Faits saillants de l'investissement
- Sale Includes Three Parcels. Total of +/- 16.49 Acres
- Parcel ID# 24-35-12-00-782: 649’ +/- Grissom. Depth 272’ to 355’ +/- (est. 4.81 Acres)
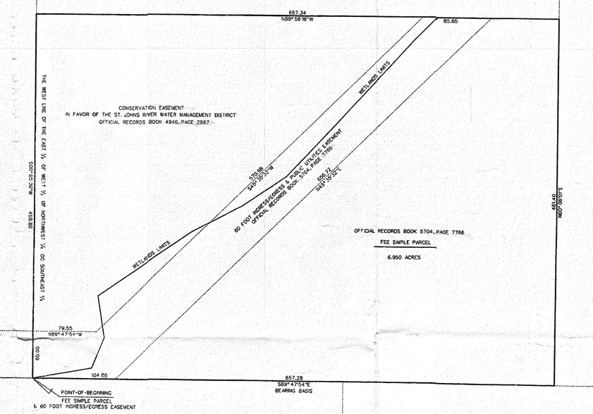
- Parcel ID# 24-35-12-00-755: est. 670’ x 460’ (est. 6.95 Acres). 3.50 Acre +/- Conservation Easement
- 1,234' +/- Total Frontage on Grissom Parkway. Maximum Depth 816' +/-
- Parcel ID# 24-35-12-00-758: 592’ +/- Grissom. Depth 338’ to 355’ +/- (est. 4.73 Acres)
- Utilities: City of Cocoa Water/Sewer, Natural Gas, FPL Electric
Résumé de l'annonce
• 3.50 Acre +/- Conservation Easement.
• 1,234' +/- Total Frontage on Grissom Parkway. Maximum Depth 816' +/-.
• Traffic Count Approximately 10,700 VPD on Grissom Parkway.
• Utilities: City of Cocoa Water/Sewer, Natural Gas, FPL Electric.
• 2025 Property Taxes: $21,678.00.
Faits sur la propriété
| Prix | 7 369 625 $ CAD | Sous-type de propriété | Terrain industriel |
| Type de vente | Investissement ou propriétaire utilisateur | Utilisation proposée | Industriel |
| Nombre de lots | 1 | Taille totale du lot | 16,49 AC |
| Type de propriété | Terrain | ||
| Zonage | M2 - Ville de Cocoa Fabrication et Industriel (M-2). Utilisation future du terrain : Industriel. | ||
| Prix | 7 369 625 $ CAD |
| Type de vente | Investissement ou propriétaire utilisateur |
| Nombre de lots | 1 |
| Type de propriété | Terrain |
| Sous-type de propriété | Terrain industriel |
| Utilisation proposée | Industriel |
| Taille totale du lot | 16,49 AC |
| Zonage | M2 - Ville de Cocoa Fabrication et Industriel (M-2). Utilisation future du terrain : Industriel. |
1 Lot disponible
Lot
| Prix | 7 369 625 $ CAD | Taille du lot | 16,49 AC |
| Prix par AC | 446 914,82 $ CAD |
| Prix | 7 369 625 $ CAD |
| Prix par AC | 446 914,82 $ CAD |
| Taille du lot | 16,49 AC |
Parcel ID 24-35-12-00-782: 649’ +/- Grissom. Depth 272’ to 355’ +/- (est 4.81 Acres) Parcel ID 24-35-12-00-758: 592’ +/- Grissom. Depth 338’ to 355’ +/- (est 4.73 Acres) Parcel ID 24-35-12-00-755: est 670’ x 460’ (est 6.95 Acres).
Description
Stratégiquement situé juste à côté de la State Road 528 (Beachline Expressway), un axe direct reliant Port Canaveral, US1, l'Interstate 95 et Orlando. Les employeurs environnants incluent Amazon, FedEx, SpaceX, Blue Origin et la Cape Canaveral Space Force Station. À environ 12 minutes en voiture de Port Canaveral. À 20 minutes en voiture du Kennedy Space Center. À 35 minutes en voiture de l'aéroport international d'Orlando.
Impôts fonciers
| Numéro de lot | 24-35-12-00-00782.0-0000.00 | Évaluation des bâtiments | 0 $ CAD |
| Évaluation du terrain | 0 $ CAD | Évaluation totale | 1 160 953 $ CAD |
Impôts fonciers
Présenté par
TBA Grissom Pky
Hmm, il semble y avoir eu une erreur lors de l’envoi de votre message. Veuillez réessayer.
Merci! Votre message a été envoyé.



