Se Connecter/S’inscrire
Votre courriel a été envoyé.
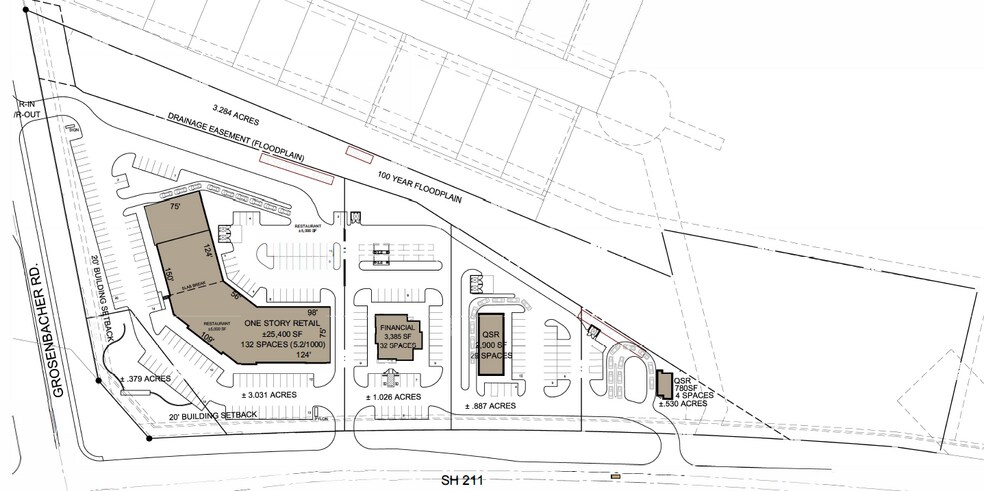
TX-211 & W. Grosenbacher Road - Shops at Ladera - Pad Sites Lots • Terrain commercial • 0,53-1,02 Acre • San Antonio, TX 78245



Certaines informations ont été traduites automatiquement.
Faits saillants de l'investissement
- L'un des sous-marchés à la croissance la plus rapide du comté de Bexar
- Points d'entrée et de sortie multiples
- Façades TX-211 avec accès pratique au chemin Grosenbacher
- Entouré d'un vaste développement résidentiel avec des milliers de nouvelles maisons prévues
Résumé de l'annonce
Les tailles de tampons sont flexibles** Contactez pour plus d'informations et les prix.
Les magasins de Ladera semblent être actuellement le seul projet de vente au détail prévu le long de la route 211 entre la HEB/commerce de détail à l'intersection de Potranco et de la route 211 et vers le sud jusqu'à l'intersection des routes 90 et 211. Situé à la NWC signalisée du 211 & W Grosenbacher, il y a plusieurs points d'entrée et de sortie vers les deux.
Les magasins de Ladera semblent être actuellement le seul projet de vente au détail prévu le long de la route 211 entre la HEB/commerce de détail à l'intersection de Potranco et de la route 211 et vers le sud jusqu'à l'intersection des routes 90 et 211. Situé à la NWC signalisée du 211 & W Grosenbacher, il y a plusieurs points d'entrée et de sortie vers les deux.
Taxes et dépenses d’exploitation (Réel - 2025) Cliquez ici pour accéder à |
Annuel (CAD) | Annuel par AC (CAD) |
|---|---|---|
| Taxes |
-
|
-
|
| Dépenses d’exploitation |
-
|
-
|
| Total des dépenses |
$99,999
|
$9.99
|
Taxes et dépenses d’exploitation (Réel - 2025) Cliquez ici pour accéder à
| Taxes (CAD) | |
|---|---|
| Annuel | - |
| Annuel par AC | - |
| Dépenses d’exploitation (CAD) | |
|---|---|
| Annuel | - |
| Annuel par AC | - |
| Total des dépenses (CAD) | |
|---|---|
| Annuel | $99,999 |
| Annuel par AC | $9.99 |
Faits sur la propriété
3 Lots disponibles
Lot Pad Site 1
| Taille du lot | 0,89 AC |
| Taille du lot | 0,89 AC |
FLEXIBILITÉ DE LA TAILLE DES COUSSINETS ** TX-211 Façades
Lot Pad Site 2
| Taille du lot | 0,53 AC |
| Taille du lot | 0,53 AC |
FLEXIBILITÉ DE LA TAILLE DES COUSSINETS ** TX-211 Façades
Lot Pad Site 3
| Taille du lot | 1,02 AC |
| Taille du lot | 1,02 AC |
FLEXIBILITÉ DE LA TAILLE DES COUSSINETS ** TX-211 Façades
Description
DE 0,5 ± C.A. À 1,026 ± COURANT ALTERNATIF AVEC CONCEPTS D'ENTRAÎNEMENT FLEXIBILITÉ DE LA TAILLE DES TAMPONS
1 de 6
Vidéos
Visite extérieure 3D Matterport
Visite 3D Matterport
Photos
Vue depuis la rue
Rue
Carte
Présenté par
TX-211 & W. Grosenbacher Road - Shops at Ladera - Pad Sites
Vous êtes déjà membre? Connectez-vous
Hmm, il semble y avoir eu une erreur lors de l’envoi de votre message. Veuillez réessayer.
Merci! Votre message a été envoyé.

