Votre courriel a été envoyé.
Tara Blvd - 10.7 Acres - Tara Boulevard & Batiste Park Rd Lot • Terrain commercial • 10,7 Acres • 2 260 071 $ CAD • Jonesboro, GA 30237



Certaines informations ont été traduites automatiquement.
Faits saillants de l'investissement
- Two points of egress
- Ample frontage on Tara Boulevard
- Ideal for Live-Work-Play
Résumé de l'annonce
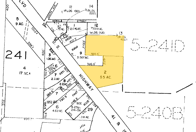
Located in the City of Jonesboro, this 10-acre assemblage of two parcels offers a rare opportunity for transformative development along one of South Metro Atlanta’s busiest corridors. With ample frontage on Tara Boulevard and two additional points of egress, the site ensures high visibility and seamless access for future commercial or residential use.
Currently zoned C-2 (General Commercial) and R-2 (Residential), the property presents a compelling case for rezoning to a mixed-use standard, allowing developers to capitalize on the area's growth and evolving land use trends. All utilities are available, streamlining the path to construction.
Surrounded by retail, residential, and institutional anchors, this site is ideally positioned for a live-work-play concept, medical office development, or multifamily with commercial frontage.
Priced to sell at $1,650,000, it offers exceptional value at the intersection of access, flexibility, and future upside.
Faits sur la propriété
1 Lot disponible
Lot
| Prix | 2 260 071 $ CAD | Taille du lot | 10,70 AC |
| Prix par AC | 211 221,59 $ CAD |
| Prix | 2 260 071 $ CAD |
| Prix par AC | 211 221,59 $ CAD |
| Taille du lot | 10,70 AC |
10-acre assemblage with Mixed-Use Potential – Tara Boulevard Frontage, Jonesboro, GA 2 Additional points of Egress Zoned C-2 and R-2 All utilities are available
Description
Situé dans la ville de Jonesboro, cet assemblage de 10 acres composé de deux parcelles offre une opportunité rare de développement transformateur le long de l'un des corridors les plus fréquentés du sud de la région métropolitaine d'Atlanta. Avec une grande façade sur Tara Boulevard et deux points d'accès supplémentaires, le site garantit une visibilité élevée et un accès fluide pour un usage futur commercial ou résidentiel. Actuellement zoné C-2 (Commercial général) et R-2 (Résidentiel), la propriété présente un argument convaincant pour un changement de zonage vers une norme à usage mixte, permettant aux développeurs de tirer parti de la croissance de la région et des tendances évolutives en matière d'utilisation des terrains. Tous les services publics sont disponibles, ce qui simplifie le processus de construction. Entouré de commerces, de résidences et d'institutions, ce site est idéalement positionné pour un concept de vie-travail-loisir, un développement de bureaux médicaux ou un projet multifamilial avec une façade commerciale. Offert à un prix compétitif de 1 650 000 $, il représente une valeur exceptionnelle à l'intersection de l'accessibilité, de la flexibilité et du potentiel futur.
Présenté par
Tara Blvd - 10.7 Acres - Tara Boulevard & Batiste Park Rd
Hmm, il semble y avoir eu une erreur lors de l’envoi de votre message. Veuillez réessayer.
Merci! Votre message a été envoyé.

