Se Connecter/S’inscrire
Votre courriel a été envoyé.
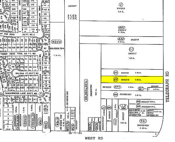
Telegraph Rd Lot • Terrain commercial • 1 Acre • 551 388 $ CAD • Brownstown, MI 48183


Certaines informations ont été traduites automatiquement.
RÉSUMÉ DE L'ANNONCE
Un acre de terrain vacant. 150 pi de façade du chemin Telegraph juste au nord de West Road.
Telegraph Road & West Road dans le canton de Brownstown
Telegraph Road & West Road dans le canton de Brownstown
FAITS SUR LA PROPRIÉTÉ
1 LOT DISPONIBLE
Lot D_2
| Prix | 551 388 $ CAD | Taille du lot | 1,00 AC |
| Prix par AC | 551 388,42 $ CAD |
| Prix | 551 388 $ CAD |
| Prix par AC | 551 388,42 $ CAD |
| Taille du lot | 1,00 AC |
1 1
1 de 3
VIDÉOS
VISITE EXTÉRIEURE 3D MATTERPORT
VISITE 3D MATTERPORT
PHOTOS
VUE DEPUIS LA RUE
RUE
CARTE
1 de 1
Présenté par
Telegraph Rd
Vous êtes déjà membre? Connectez-vous
Hmm, il semble y avoir eu une erreur lors de l’envoi de votre message. Veuillez réessayer.
Merci! Votre message a été envoyé.
