Se Connecter/S’inscrire
Votre courriel a été envoyé.
Certaines informations ont été traduites automatiquement.
Faits saillants de l'investissement
- Prime Residential Opportunities – single-family homes, duplexes, or multi-lot development (subject to approvals)
- Creative Neighborhoods – Silver Lake (Sunset Junction), Highland Park (Avenue 66), Eagle Rock (York Blvd), Vista One (Echo Park)
- Flexible Zoning – C2 (CW)-U/3, R1-1, R1-1-HCR, Urban Lot Split and ADUs/JADUs
- Nearby Amenities – Occidental College, Eagle Rock Plaza, Highland Park Bowl, Sunset Junction, Echo Park
- Generous Lot Sizes – 9,571 SF to over 20,000 SF, including four contiguous lots on York Blvd that's nearly 1 acre
- Walkable & Connected – Walk Scores 73–90; near cafés, boutiques, parks, and cultural amenities
Résumé de l'annonce
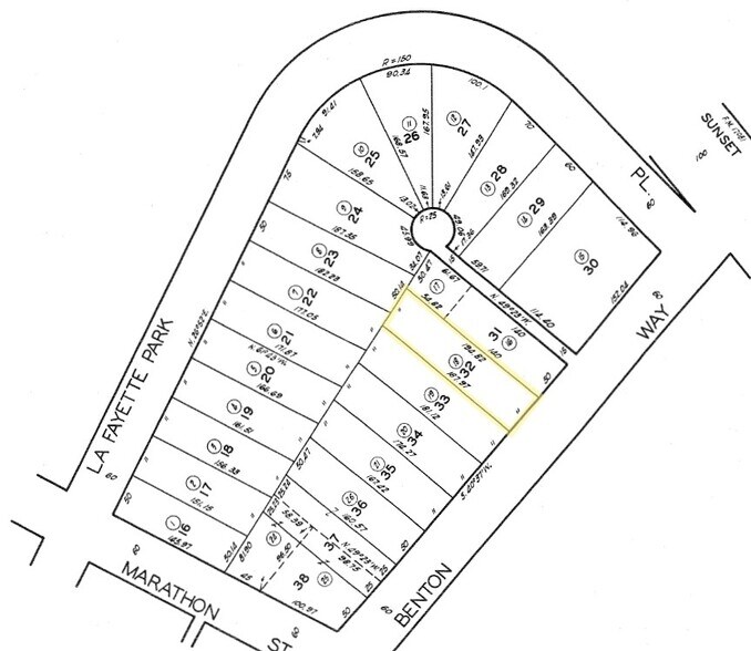
The Benton- 933 N Benton Way:
Exceptional development opportunity in the heart of Silver Lake! Located at 933 N Benton Way, this expansive 9,571 sq ft lot offers multiple pathways for value creation under California’s SB 9 legislation (subject to regulations). Build a spacious singlefamily residence, pursue an urban lot split to create two new parcels, or maximize income potential with ADUs and JADUs on each. Situated near Sunset Junction, the property is surrounded by top-rated restaurants, boutiques, and cafés, with easy access to Downtown LA, Echo Park, and Hollywood. With its ideal location, generous lot size, and flexible development options, this property presents a rare chance to create modern residences in one of Los Angeles’ most desirable and fastevolving neighborhoods.
Vista One- 1260 West 1st St:
Discover an exceptional investment opportunity with this prime property located at 1260 West 1st Street in Los Angeles, CA. Zoned as C2 (CW) - U/3, this property presents an ideal canvas for a versatile range of development possibilities within the dynamic Los Angeles area. Offering a strategic and desirable location for a Land / Multifamily investor, this property provides a compelling foundation for a lucrative residential or mixed-use project. Embrace the potential of this well-positioned property, strategically situated to leverage the bustling energy and lucrative opportunities within this influential urban landscape.
The Highland on 66- 933 North Avenue 66:
Introducing a remarkable investment opportunity in the vibrant Highland Park neighborhood of Los Angeles. Located at 933 Avenue 66, this expansive 20,985 sq ft lot is zoned R1-1-HCR, offering ideal potential for residential development, including a single-family estate or multiple units (subject to city approvals). Set in a sought-after area, the property is just minutes from Figueroa Street’s cafés, boutiques, and art galleries, as well as the historic Highland Park Bowl. With convenient access to the Metro Gold Line, Downtown Los Angeles, and Pasadena, this site is primed for high-quality residential units, providing investors a chance to capitalize on the strong demand for housing in one of LA’s most dynamic and fast-growing communities.
Summit At York- 4115-4143 York Blvd:
Exceptional investment opportunity in the highly desirable Eagle Rock neighborhood of Los Angeles. This offering includes four contiguous lots at 4115, 4121, 4135, and 4143 York Blvd., providing a substantial canvas for residential development. Zoned R1- 1, the parcels offer flexibility for single-family homes or other residential configurations, subject to city approvals. The location boasts a Walk Score of 73, reflecting a highly walkable neighborhood with easy access to local shops, cafés, and restaurants. Nearby amenities include Occidental College, Eagle Rock Plaza, and the Arroyo Seco, combining cultural and recreational appeal with urban convenience. This rare assemblage presents a compelling opportunity for developers or investors seeking to capitalize on Eagle Rock’s growing residential market.
Exceptional development opportunity in the heart of Silver Lake! Located at 933 N Benton Way, this expansive 9,571 sq ft lot offers multiple pathways for value creation under California’s SB 9 legislation (subject to regulations). Build a spacious singlefamily residence, pursue an urban lot split to create two new parcels, or maximize income potential with ADUs and JADUs on each. Situated near Sunset Junction, the property is surrounded by top-rated restaurants, boutiques, and cafés, with easy access to Downtown LA, Echo Park, and Hollywood. With its ideal location, generous lot size, and flexible development options, this property presents a rare chance to create modern residences in one of Los Angeles’ most desirable and fastevolving neighborhoods.
Vista One- 1260 West 1st St:
Discover an exceptional investment opportunity with this prime property located at 1260 West 1st Street in Los Angeles, CA. Zoned as C2 (CW) - U/3, this property presents an ideal canvas for a versatile range of development possibilities within the dynamic Los Angeles area. Offering a strategic and desirable location for a Land / Multifamily investor, this property provides a compelling foundation for a lucrative residential or mixed-use project. Embrace the potential of this well-positioned property, strategically situated to leverage the bustling energy and lucrative opportunities within this influential urban landscape.
The Highland on 66- 933 North Avenue 66:
Introducing a remarkable investment opportunity in the vibrant Highland Park neighborhood of Los Angeles. Located at 933 Avenue 66, this expansive 20,985 sq ft lot is zoned R1-1-HCR, offering ideal potential for residential development, including a single-family estate or multiple units (subject to city approvals). Set in a sought-after area, the property is just minutes from Figueroa Street’s cafés, boutiques, and art galleries, as well as the historic Highland Park Bowl. With convenient access to the Metro Gold Line, Downtown Los Angeles, and Pasadena, this site is primed for high-quality residential units, providing investors a chance to capitalize on the strong demand for housing in one of LA’s most dynamic and fast-growing communities.
Summit At York- 4115-4143 York Blvd:
Exceptional investment opportunity in the highly desirable Eagle Rock neighborhood of Los Angeles. This offering includes four contiguous lots at 4115, 4121, 4135, and 4143 York Blvd., providing a substantial canvas for residential development. Zoned R1- 1, the parcels offer flexibility for single-family homes or other residential configurations, subject to city approvals. The location boasts a Walk Score of 73, reflecting a highly walkable neighborhood with easy access to local shops, cafés, and restaurants. Nearby amenities include Occidental College, Eagle Rock Plaza, and the Arroyo Seco, combining cultural and recreational appeal with urban convenience. This rare assemblage presents a compelling opportunity for developers or investors seeking to capitalize on Eagle Rock’s growing residential market.
Faits sur la propriété
| Prix | 4 752 375 $ CAD | Nombre de propriétés | 4 |
| Type de vente | Investissement | Individuellement en vente | 4 |
| Statut | Actif | Superficie totale du terrain | 1,74 AC |
| Prix | 4 752 375 $ CAD |
| Type de vente | Investissement |
| Statut | Actif |
| Nombre de propriétés | 4 |
| Individuellement en vente | 4 |
| Superficie totale du terrain | 1,74 AC |
Propriétés
| Nom de la propriété/adresse | Type de propriété | Taille | Prix individuel |
|---|---|---|---|
|
Summit at York
4115-4143 York Blvd, Los Angeles, CA 90065 |
Terrain | 0,98 AC | 2 341 750 $ CAD |
|
The Highland on 66
933 Avenue 66, Los Angeles, CA 90042 |
Terrain | 0,48 AC | 860 938 $ CAD |
|
The Benton
933 N Benton Way, Los Angeles, CA 90026 |
Terrain | 0,22 AC | 1 067 563 $ CAD |
|
Vista One
1260 1st st, Los Angeles, CA 90026 |
Terrain | 0,07 AC | 482 125 $ CAD |
1 1
1 de 6
Vidéos
Visite extérieure 3D Matterport
Visite 3D Matterport
Photos
Vue depuis la rue
Rue
Carte
1 de 1
Présenté par
The Eastside Collection
Vous êtes déjà membre? Connectez-vous
Hmm, il semble y avoir eu une erreur lors de l’envoi de votre message. Veuillez réessayer.
Merci! Votre message a été envoyé.



