Se Connecter/S’inscrire
Votre courriel a été envoyé.
The Front, Port Haverigg Lot • Résidentiel • 7,71 Acres • 6 522 711 $ CAD • Millom LA18 4HT

Certaines informations ont été traduites automatiquement.
Faits saillants de l'investissement
- Residential development opportunity
- Planning permission granted
- Seaside village location
Résumé de l'annonce
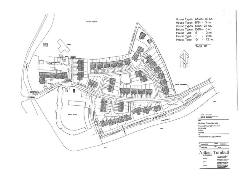
A unique opportunity, freehold residential development sit. Valuable and current/implemented planning permission for 81 houses. Guide price of £3,500,000.
Faits sur la propriété
| Prix | 6 522 711 $ CAD | Type de propriété | Terrain |
| Type de vente | Investissement | Sous-type de propriété | Résidentiel |
| Ancienneté | Pleine propriété | Utilisation proposée | Développement familial unique |
| Nombre de lots | 1 | Taille totale du lot | 7,71 AC |
| Prix | 6 522 711 $ CAD |
| Type de vente | Investissement |
| Ancienneté | Pleine propriété |
| Nombre de lots | 1 |
| Type de propriété | Terrain |
| Sous-type de propriété | Résidentiel |
| Utilisation proposée | Développement familial unique |
| Taille totale du lot | 7,71 AC |
1 Lot disponible
Lot
| Prix | 6 522 711 $ CAD | Taille du lot | 7,71 AC |
| Prix par AC | 846 006,64 $ CAD |
| Prix | 6 522 711 $ CAD |
| Prix par AC | 846 006,64 $ CAD |
| Taille du lot | 7,71 AC |
7.71 acres of residential land located in a seaside village location in Millom.
1 1
1 de 2
Vidéos
Visite extérieure 3D Matterport
Visite 3D Matterport
Photos
Vue depuis la rue
Rue
Carte
1 de 1
Présenté par
The Front, Port Haverigg
Vous êtes déjà membre? Connectez-vous
Hmm, il semble y avoir eu une erreur lors de l’envoi de votre message. Veuillez réessayer.
Merci! Votre message a été envoyé.
