Se Connecter/S’inscrire
Votre courriel a été envoyé.
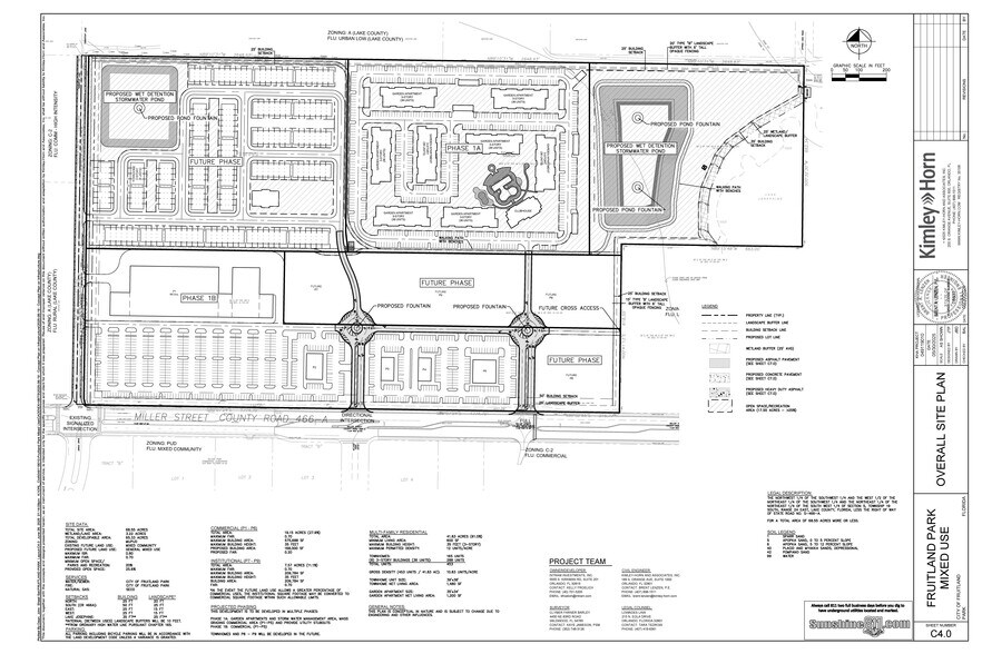
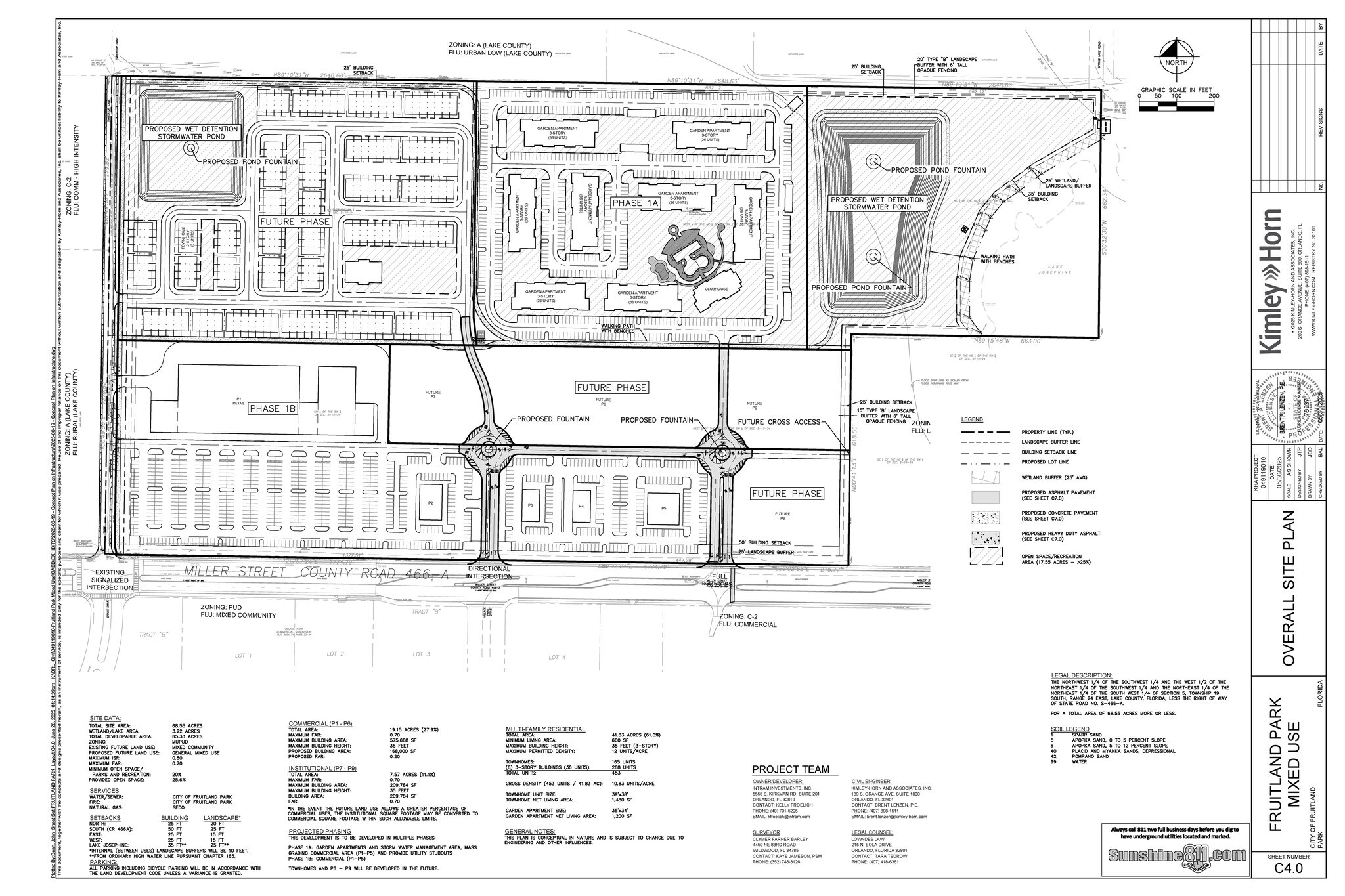
Timbertop Ln Ln - 68.7 +/- acres Fully Entitled - CR 466A, FP Lot • Terrain commercial • 68 Acres • Fruitland Park, FL 34731



Certaines informations ont été traduites automatiquement.
Faits saillants de l'investissement
- 68.7 acres - Fully Entitled
- Located on busy CR 466A (Miller Blvd) in Fruitland Park
- Signalized Entry
Résumé de l'annonce
Fantastic Fully Entitled & Approved (w/preliminary engineering done) Development Site in Fruitland Park consisting of 68.7 +/- Acres located along busy CR 466A surrounded by The Villages and growth all around. Property is entitled, approved and pre-engineered for 288 MF Units, 165 Townhomes, 168,000 +/- Sq. Ft. of Commercial & 209,784 +/- Sq. Ft. of Medical/Institutional with the ability to add more Commercial and reduce the Institutional per the Master Developers Agreement. Site has 2,000 +/- feet of frontage along CR 466A (a four lane highway) with a signalized entry at Timbertop Lane and potential for a 2nd signalized entry along CR 466a in the center of the property. All utilities are readily available and all around the Site. Seller will consider selling off sections of the MUPUD/Will Divide. One of best sites available anywhere in Central Florida.
Faits sur la propriété
1 Lot disponible
Lot
| Taille du lot | 68,00 AC |
| Taille du lot | 68,00 AC |
Impôts fonciers
| Numéro de lot | 05-19-24-0003-000-02000 | Évaluation des bâtiments | 0 $ CAD |
| Évaluation du terrain | 0 $ CAD | Évaluation totale | 30 210 $ CAD |
Impôts fonciers
Numéro de lot
05-19-24-0003-000-02000
Évaluation du terrain
0 $ CAD
Évaluation des bâtiments
0 $ CAD
Évaluation totale
30 210 $ CAD
1 de 7
Vidéos
Visite extérieure 3D Matterport
Visite 3D Matterport
Photos
Vue depuis la rue
Rue
Carte
Présenté par
Timbertop Ln Ln - 68.7 +/- acres Fully Entitled - CR 466A, FP
Vous êtes déjà membre? Connectez-vous
Hmm, il semble y avoir eu une erreur lors de l’envoi de votre message. Veuillez réessayer.
Merci! Votre message a été envoyé.

