Se Connecter/S’inscrire
Votre courriel a été envoyé.
Certaines informations ont été traduites automatiquement.
Résumé de l'annonce
Land entitled for 100,000 SF of retail, office, industrial, warehouse
Faits sur la propriété
| Type de vente | Investissement | Sous-type de propriété | Terrain commercial |
| Nombre de lots | 1 | Utilisation proposée | Commercial |
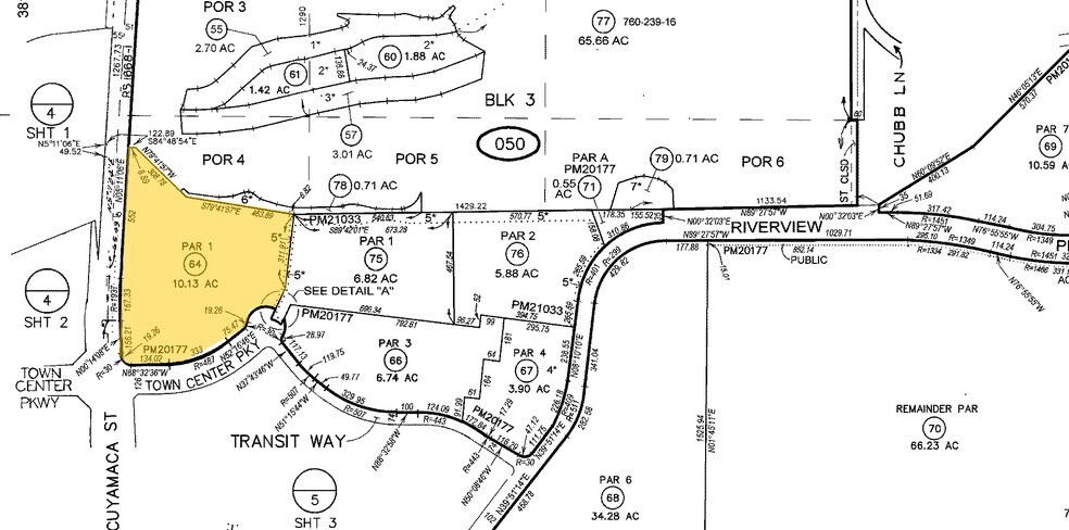
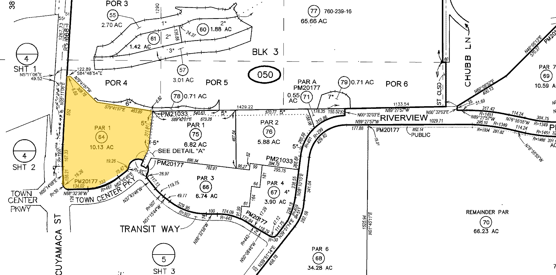
| Type de propriété | Terrain | Taille totale du lot | 10,13 AC |
| Zonage | TC | ||
| Type de vente | Investissement |
| Nombre de lots | 1 |
| Type de propriété | Terrain |
| Sous-type de propriété | Terrain commercial |
| Utilisation proposée | Commercial |
| Taille totale du lot | 10,13 AC |
| Zonage | TC |
1 Lot disponible
Lot
| Taille du lot | 10,13 AC |
| Taille du lot | 10,13 AC |
1 1
Assez praticable à pied
50/100
Exceptionnellement facile d’accès en voiture
100/100
Bons transports en commun
60/100
Moyennement praticable en vélo
70/100
Impôts fonciers
| Numéro de lot | 381-050-64 | Évaluation des bâtiments | 0 $ CAD |
| Évaluation du terrain | 8 799 365 $ CAD | Évaluation totale | 8 799 365 $ CAD |
Impôts fonciers
Numéro de lot
381-050-64
Évaluation du terrain
8 799 365 $ CAD
Évaluation des bâtiments
0 $ CAD
Évaluation totale
8 799 365 $ CAD
1 de 2
Vidéos
Visite extérieure 3D Matterport
Visite 3D Matterport
Photos
Vue depuis la rue
Rue
Carte
1 de 1
Présenté par
Town Center Pky
Vous êtes déjà membre? Connectez-vous
Hmm, il semble y avoir eu une erreur lors de l’envoi de votre message. Veuillez réessayer.
Merci! Votre message a été envoyé.

